FAA Information Effective: 3/7/2013
AOPA members save at 3,000+ GA airports.Book Now!
KAUSCivil
Public Use
Public Use
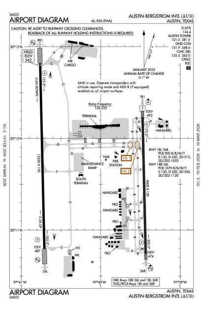
Austin-Bergstrom International
Austin, TX
Phone: 512-530-2242
www.ci.austin.tx.us/austinairport/geninfo.htm
Nearby airports
Operations | Communications | Weather |
Runways |
Comments |
Remarks |
Procedures | Services, Businesses & FBOsKneeboard Format
Overview
| Attendance: |
Attended Year-round, 7 Days a Week,All |
| Tower: | ATCT plus Terminal Radar Approach Control, 24 hrs/day, everyday, year-roundTower Hrs: 24ATIS Hrs: PART-TIME |
| Elevation: | 542 ft (165.2 m) (Surveyed) |
| Location: | 5.00 mi. SE of Austin |
| Beacon: | Present (white-green) |
| Approaches: | ILS, LOC, RNAV, GPS |
| Runways: | 17L/35R, 17R/35L, H1, H2, H3
Longest paved runway: 12248 ft |
| Fees: | Landing, Parking, Tiedown |
Alerts
Security Directive SD-8G
Call FBO for transient pilot security procedures or after hours escort. Learn MoreExpand Additional Remarks
Runway 17L/35R
| Dimensions: | 9000 x 150ft. / 2743.2 x 45.7m | Weight Bearing Cap: | Single wheel: 75000 lb |
| Surface: | concrete, grooved, in good condition | Runway Edge Lights: | high |
| # | Elev/Hdg | Tr. Pat. | Markings | Approach Lights | TD Point | ILS/LOC | Obstructions | Comments/Noise | ||
|---|---|---|---|---|---|---|---|---|---|---|
| 17L | 491.7ft. MSL 173° mag 179° true 0.2% down | precision | end touchdown: End Touchdown Lights are present runway visual range: Touchdown, Midfield, Rollout approach: 2400ft/High-Intensity/Sequenced Flashers, Cat-II/III Config. centerline: Centerline Lights are present visual glide slope: 4-Light/Left-Side PAPI | ILS/DME | Tower, 236 ft Right of center, 90 ft high, 3,807 ft from end, 40:1 clearance slope | |||||
| 35R | 473.7ft. MSL 353° mag 359° true 0.2% up | precision | visual glide slope: 4-Light/Left-Side PAPI end touchdown: End Touchdown Lights are present centerline: Centerline Lights are present runway visual range: Touchdown, Midfield, Rollout approach: 1400ft/Medium-Intensity/Runway Alignment Indicators | ILS/DME | ||||||
Runway 17R/35L
| Dimensions: | 12248 x 150ft. / 3733.2 x 45.7m | Weight Bearing Cap: | Single wheel: 75000 lb |
| Surface: | concrete, grooved, in good condition | Runway Edge Lights: | high |
| # | Elev/Hdg | Tr. Pat. | Markings | Approach Lights | TD Point | ILS/LOC | Obstructions | Comments/Noise | ||
|---|---|---|---|---|---|---|---|---|---|---|
| 17R | 541.6ft. MSL 173° mag 179° true 0.4% down | precision | visual glide slope: 4-Light/Left-Side PAPI runway visual range: Touchdown, Rollout approach: 1400ft/Medium-Intensity | ILS/DME | ||||||
| 35L | 487.6ft. MSL 353° mag 359° true 0.4% up | precision | runway visual range: Touchdown, Rollout visual glide slope: 4-Light/Left-Side PAPI approach: 1400ft/Medium-Intensity/Runway Alignment Indicators | ILS/DME | ||||||
Helipad H1
| Dimensions: | 60 x 60ft. / 18.3 x 18.3m | Weight Bearing Cap: | |
| Surface: | concrete, no surface treatment, in good condition | Runway Edge Lights: |
| # | Elev/Hdg | Tr. Pat. | Markings | Approach Lights | TD Point | ILS/LOC | Obstructions | Comments/Noise | ||
|---|---|---|---|---|---|---|---|---|---|---|
| H1 | No Data
| No Data | No Data | |||||||
Helipad H2
| Dimensions: | 60 x 60ft. / 18.3 x 18.3m | Weight Bearing Cap: | |
| Surface: | concrete, no surface treatment, in good condition | Runway Edge Lights: |
| # | Elev/Hdg | Tr. Pat. | Markings | Approach Lights | TD Point | ILS/LOC | Obstructions | Comments/Noise | ||
|---|---|---|---|---|---|---|---|---|---|---|
| H2 | No Data
| No Data | No Data | |||||||
Helipad H3
| Dimensions: | 50 x 50ft. / 15.2 x 15.2m | Weight Bearing Cap: | |
| Surface: | concrete, no surface treatment, in good condition | Runway Edge Lights: | perimeter |
| # | Elev/Hdg | Tr. Pat. | Markings | Approach Lights | TD Point | ILS/LOC | Obstructions | Comments/Noise | ||
|---|---|---|---|---|---|---|---|---|---|---|
| H3 | No Data
| No Data | No Data | |||||||
Business/Service Information
| Name | Location | Freq. Monitored | Main Phone | |
|---|---|---|---|---|
| Above and Beyond Aviation |
| On field: SE | 512-415-2466 | |
| Atlantic Aviation |
| On field: SE |
UNICOM: 122.95 ARINC: 130.22 | 512-530-7000 |
| Austin Academy of Aviation |
| On field: SE |
UNICOM: 130.225 ARINC: 130.075 | 512-385-2880 |
| Chandelle Flying Club |
| DEL VALLE, TX | ||
| Compass Flight Academy |
| AUSTIN, TX | 512-289-1419 | |
| Signature Flight Support |
| On field: SE |
UNICOM: 122.95 ARINC: 130.375 | 512-530-5451 |
| Streamline Aviation, LLC |
| On field: SE | 512-501-4905 | |
| University Flying Club |
| AUSTIN, TX |
Services at this airport:
Services:Engine Repair: MinorAirframe Repair: Minor
Fuel: 100LL Low-Lead, Jet A
Transportation: Shuttle Bus, Courtesy Car, Limousine, Public, Van
Customs: International Landing Rights
Expand Nearby restaurants, attractions
Operations & More Information
| Lat/Long: | N30 11.6717' / W97 40.1933' |
| Charts: | NACO:
San Antonio Sectional |
| Mag Var: | 06E (2000) |
| ARTCC: | Houston (ZHU) |
| FSS: | San Angelo (SJT) 1-800-WXBRIEF |
| NOTAM Facility: | AUS |
| Approach/Departure Control Facility | |
| Pattern Altitude: | No data provided. Assume 1000 AGL |
| Wind Indicator: | Lighted |
| Seg. Circle: | No |
| Lighting: | No data |
Aircraft & Activity
Based GA Aircraft
| Single Engine: | 110 |
| Multi Engine: | 37 |
| Jets: | 34 |
| Helicopters: | 6 |
| Gliders: | |
| Ultralights: |
Airport Activity
| GA Local: | 3,102 |
| GA Itinerant: | 56,917 |
| Commercial: | 94,674 |
| Air Taxi: | 18,111 |
| Military: | 7,422 |
(12-month period ending on 5/31/2011)
Air Safety Institute Resources
Expand Communications Card
Contact Addresses
| ASN Volunteer: | Owner: | Airport Manager: |
| Geoff Weisbart | City of Austin | Jim Smith |
| Po Box 1088 | 3600 Presidential Blvd | |
| Austin, TX 78767 | Austin, TX 78719 | |
| 512-974-2000 (Office) | 512-530-2242 (Office) | |
| Contact the ASN Volunteer | ||
| Airport Manager Admin |