FAA Information Effective: 3/7/2013
AOPA members save at 3,000+ GA airports.Book Now!
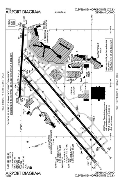
KCLECivil
Public Use
Public Use
Cleveland-Hopkins International
Cleveland, OH
Phone: 216-265-6000
www.clevelandairport.com
Nearby airports
Operations | Communications | Weather |
Runways |
Comments |
Remarks |
Procedures | Services, Businesses & FBOsKneeboard Format
Overview
| Attendance: |
Attended Year-round, 7 Days a Week,All |
| Tower: | ATCT plus Terminal Radar Approach Control, 24 hrs/day, everyday, year-roundTower Hrs: 24 |
| Elevation: | 799 ft (243.5 m) (Surveyed) |
| Location: | 9.00 mi. SW of Cleveland |
| Beacon: | Present (white-green) |
| Approaches: | ILS, DME, LOC, RNAV, GPS |
| Runways: | 06L/24R, 06R/24L, 06X
(unpaved)
, 10/28, 24X
Longest paved runway: 9956 ft |
| Fees: | Landing, Parking |
Alerts
Security Directive SD-8G
Call FBO for transient pilot security procedures or after hours escort. Learn MoreExpand Additional Remarks
Runway 06L/24R
| Dimensions: | 9000 x 150ft. / 2743.2 x 45.7m | Weight Bearing Cap: | Single wheel: 75000 lb |
| Surface: | concrete, grooved, in good condition | Runway Edge Lights: | high |
| # | Elev/Hdg | Tr. Pat. | Markings | Approach Lights | TD Point | ILS/LOC | Obstructions | Comments/Noise | ||
|---|---|---|---|---|---|---|---|---|---|---|
| 06L | 770.4ft. MSL 57° mag 50° true 0.1% up | No Data | precision | visual glide slope: 4-Light/Left-Side PAPI end touchdown: End Touchdown Lights are present runway visual range: Touchdown, Midfield, Rollout approach: 2400ft/High-Intensity/Sequenced Flashers, Cat-II/III Config. centerline: Centerline Lights are present | ILS/DME | Trees, 847 ft Right of center, 97 ft high, 3,689 ft from end, 35:1 clearance slope | Rwy 6l Also Has Lgtd Pline 99 Ft Abv Rwy End, 4266 Ft Fm Rwy End, 966 Ft L of Cntrln, 41:1 Obstn Clnc Slope | |||
| 24R | 780.3ft. MSL 237° mag 230° true 0.1% down | No Data | precision | visual glide slope: 4-Light/Right-Side PAPI runway visual range: Touchdown, Midfield, Rollout approach: 2400ft/High-Intensity/Sequenced Flashers, Cat-II/III Config. end touchdown: End Touchdown Lights are present centerline: Centerline Lights are present | ILS/DME | |||||
Runway 06R/24L
| Dimensions: | 9956 x 150ft. / 3034.6 x 45.7m | Weight Bearing Cap: | Single wheel: 100000 lb |
| Surface: | concrete, grooved, in fair condition | Runway Edge Lights: | high |
| # | Elev/Hdg | Tr. Pat. | Markings | Approach Lights | TD Point | ILS/LOC | Obstructions | Comments/Noise | ||
|---|---|---|---|---|---|---|---|---|---|---|
| 06R | 775.6ft. MSL 57° mag 50° true 0.1% up | precision | runway visual range: Touchdown, Midfield, Rollout visual glide slope: 4-Light/Left-Side PAPI centerline: Centerline Lights are present approach: 1400ft/Medium-Intensity/Runway Alignment Indicators end touchdown: End Touchdown Lights are present | 1926' Disp Threshold | ILS/DME | Trees, 370 ft Right of center, 80 ft high, 3,010 ft from end, 35:1 clearance slope | ||||
| 24L | 785.7ft. MSL 237° mag 230° true 0.1% down | precision | centerline: Centerline Lights are present visual glide slope: 4-Light/Right-Side PAPI runway visual range: Touchdown, Midfield, Rollout approach: 1400ft/Medium-Intensity/Runway Alignment Indicators end touchdown: End Touchdown Lights are present | ILS/DME | ||||||
Runway 06X
| Dimensions: | 0 x 0ft. / 0.0 x 0.0m | Weight Bearing Cap: | |
| Surface: | not reported, no surface treatment, condition not reported | Runway Edge Lights: |
| # | Elev/Hdg | Tr. Pat. | Markings | Approach Lights | TD Point | ILS/LOC | Obstructions | Comments/Noise | ||
|---|---|---|---|---|---|---|---|---|---|---|
| 06X | No Data
| No Data | No Data | LDA/DME | ||||||
Runway 10/28
| Dimensions: | 6018 x 150ft. / 1834.3 x 45.7m | Weight Bearing Cap: | Single wheel: 155000 lb |
| Surface: | asphalt, concrete, grooved, in fair condition | Runway Edge Lights: | high |
| # | Elev/Hdg | Tr. Pat. | Markings | Approach Lights | TD Point | ILS/LOC | Obstructions | Comments/Noise | ||
|---|---|---|---|---|---|---|---|---|---|---|
| 10 | 767.2ft. MSL 100° mag 93° true 0.5% up | non-precision | runway end identifier: REIL is present visual glide slope: 4-Light/Left-Side PAPI | Tree, 490 ft Left of center, 51 ft high, 263 ft from end, 1:1 clearance slope | ||||||
| 28 | 799.4ft. MSL 280° mag 273° true 0.5% down | precision | visual glide slope: 4-Light/Right-Side PAPI runway visual range: Touchdown approach: 1400ft/Medium-Intensity/Sequenced Flashers | ILS/DME | Pole, 545 ft Left of center, 23 ft high, 1,167 ft from end, 41:1 clearance slope | |||||
Runway 24X
| Dimensions: | 0 x 0ft. / 0.0 x 0.0m | Weight Bearing Cap: | |
| Surface: | concrete, no surface treatment, condition not reported | Runway Edge Lights: |
| # | Elev/Hdg | Tr. Pat. | Markings | Approach Lights | TD Point | ILS/LOC | Obstructions | Comments/Noise | ||
|---|---|---|---|---|---|---|---|---|---|---|
| 24X | No Data
| No Data | No Data | LDA/DME | ||||||
Business/Service Information
| Name | Location | Freq. Monitored | Main Phone | |
|---|---|---|---|---|
| Atlantic Aviation |
| On field: SW | ARINC: 130.3 | 216-362-1500 |
| Constant Aviation, LLC |
| CLEVELAND, OH | 216-261-7119 |
Services at this airport:
Services:Engine Repair: MajorAirframe Repair: MajorBulk Oxygen: High/Low
Fuel: 100LL Low-Lead, Jet A1 +Icing Inhibitor
Transportation: Shuttle Bus, Limousine, Courtesy Car, Van, Public
Rental Cars:
| National | Book Now! | 866-315-9155 |
| Avis | ||
| Budget | ||
| Dollar | ||
| Hertz |
Customs: Airport of Entry
Expand Nearby restaurants, attractions
Operations & More Information
| Lat/Long: | N41 24.5650' / W81 51.2817' |
| Charts: | NACO:
Detroit Sectional |
| Mag Var: | 07W (1990) |
| ARTCC: | Cleveland (ZOB) |
| FSS: | Cleveland (CLE) 1-800-WXBRIEF |
| NOTAM Facility: | CLE |
| Approach/Departure Control Facility | |
| Pattern Altitude: | Light Aircraft: 1800 MSL; Heavy Aircraft: 3000 MSL |
| Wind Indicator: | Lighted |
| Seg. Circle: | No |
| Lighting: | No data |
Aircraft & Activity
Based GA Aircraft
| Single Engine: | 5 |
| Multi Engine: | 6 |
| Jets: | 18 |
| Helicopters: | |
| Gliders: | |
| Ultralights: |
Airport Activity
| GA Local: | NaN |
| GA Itinerant: | 8,649 |
| Commercial: | 58,514 |
| Air Taxi: | 120,858 |
| Military: | 265 |
(12-month period ending on 12/31/2011)
Air Safety Institute Resources
Expand Communications Card
Contact Addresses
| ASN Volunteer: | Airport Manager: | Owner: |
| Sean Kelly | Ricky Smith | City of Cleveland |
| P,O.B. 81009, 5300 Riverside Dr | Cleveland Hopkins Int'L, P.O.B. 81009 | |
| Cleveland, OH 44181-9009 | Cleveland, OH 44181-3193 | |
| 216-265-6000 (Office) | 216-265-6000 (Office) | |
| Contact the ASN Volunteer | ||
| Airport Manager Admin |