FAA Information Effective: 3/7/2013

AOPA members save at 3,000+ GA airports.Book Now!
KDPACivil
Public Use

Dupage

Chicago/West Chicago, IL
Phone: 630-584-2211
www.dupageairport.com
Nearby airports


Overview

Attendance: Attended
Year-round, 7 Days a Week,All
Tower:Air Traffic Control Tower, 24 hrs/day, everyday, year-round
Elevation:759 ft (231.3 m) (Surveyed)
Location:29.00 mi. W of Chicago/West Chicago
Beacon: Present (white-green)
Approaches:ILS, LOC, VOR, RNAV, GPS
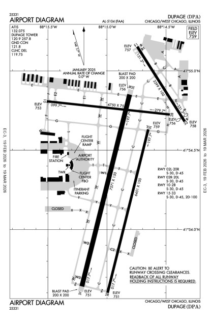
Runways:02L/20R, 02R/20L, 10/28, 15/33
Longest paved runway: 7571 ft
Fees:Tiedown, Hangar, Ramp, Parking
 Embed this
  • METARs
  • TAFs

Expand Instrument Approach Procedures

Use subject to Terms and Conditions

  • Satellite
  • Diagram
  • Sectional

Minimum Fuel Prices

100 LL$ 6.28  (self service)
Jet A$ 5.97  (full service)
100 LL$ 6.82  (full service)

Alerts

Security Directive SD-8G

Call FBO for transient pilot security procedures or after hours escort. Learn More

Expand Additional Remarks

Runway 02L/20R

Dimensions:7571 x 100ft. / 2307.6 x 30.5mWeight Bearing Cap: Single wheel: 30000 lb
Surface:concrete, grooved, in good conditionRunway Edge Lights:high
#Elev/HdgTr. Pat.MarkingsApproach LightsTD PointILS/LOCObstructionsComments/Noise
02L750.9ft. MSL
15° mag
14° true
0.1% up
No Dataprecisioncenterline: Centerline Lights are present
approach: 1400ft/Medium-Intensity/Runway Alignment Indicators
end touchdown: End Touchdown Lights are present
ILSRy 02l Rvr Ant is Loctd at Thld
20R755.5ft. MSL
195° mag
194° true
0.1% down
No Dataprecisionvisual glide slope: 4-Light/Left-Side PAPI
centerline: Centerline Lights are present
Tree, 475 ft Right of center, 79 ft high, 2,823 ft from end, 33:1 clearance slope

Runway 02R/20L

Dimensions:6443 x 100ft. / 1963.8 x 30.5mWeight Bearing Cap: Single wheel: 30000 lb
Surface:concrete, grooved, in good conditionRunway Edge Lights:medium
#Elev/HdgTr. Pat.MarkingsApproach LightsTD PointILS/LOCObstructionsComments/Noise
02R750.9ft. MSL
15° mag
14° true
0.1% up
non-precisionrunway end identifier: REIL is present
Building, 96 ft Right of center, 52 ft high, 2,484 ft from end, 43:1 clearance slope
20L758.9ft. MSL
195° mag
194° true
0.1% down
No Datanon-precisionrunway end identifier: REIL is present

Runway 10/28

Dimensions:4750 x 75ft. / 1447.8 x 22.9mWeight Bearing Cap: Single wheel: 30000 lb
Surface:asphalt, porous friction course, in good conditionRunway Edge Lights:high
#Elev/HdgTr. Pat.MarkingsApproach LightsTD PointILS/LOCObstructionsComments/Noise
10753.3ft. MSL
97° mag
96° true
0.1% up
precisionapproach: RLLS
runway end identifier: REIL is present
visual glide slope: 4-Box/Left-Side VASI
ILSRy 10 Restriction, Unusable Byd 5 Deg Left & 5 Deg Right of Cntln
28755.9ft. MSL
277° mag
276° true
0.1% down
precisionvisual glide slope: 4-Light/Left-Side PAPI
runway end identifier: REIL is present
Tree, 244 ft Left of center, 48 ft high, 1,262 ft from end, 22:1 clearance slope

Runway 15/33

Dimensions:3399 x 100ft. / 1036.0 x 30.5mWeight Bearing Cap: Single wheel: 30000 lb
Surface:asphalt, no surface treatment, in good conditionRunway Edge Lights:medium
#Elev/HdgTr. Pat.MarkingsApproach LightsTD PointILS/LOCObstructionsComments/Noise
15757.0ft. MSL
149° mag
148° true
0.0% up
basicvisual glide slope: 4-Light/Right-Side PAPI
runway end identifier: REIL is present
Tree, 162 ft Left of center, 83 ft high, 1,215 ft from end, 12:1 clearance slope
33757.7ft. MSL
329° mag
328° true
0.0% down
basicrunway end identifier: REIL is present
190' Disp Threshold
Tree, 248 ft Left of center, 72 ft high, 1,327 ft from end, 15:1 clearance slope
+13 Ft Road 199 Ft Fm Ry End 125 Ft R Apch Ratio is 23:1 to Dsplcd Thld

Business/Service Information

Name LocationFreq. MonitoredMain Phone
American Flyers
  • Flight Training
On field: NE
41.914589-88.238904
630-584-4700
ATP Flight School – DPA
  • Flight Training
On field: NW
41.920960-88.242359
800-255-2877
DuPage Flight Center
  • $6.82
  • $6.28
  • $5.97
On field: W
41.906557-88.255234
UNICOM: 122.95
800-208-5690
Fox Flying Club
    On field: NE
    41.919060-88.239977
    630-447-9369
    Illinois Aviation Academy, Inc.
    • Maintenance
    • Rentals
    • Sales
    • Flight Training
    On field: NW
    41.915627-88.261843
    UNICOM: 122.95
    630-513-2224
    International Flying Club
      On field: NE
      41.919842-88.244076
      630-690-6610
      Mukenschnabl, Inc.
      • Maintenance
      • Fuel
      • Sales
      On field: N
      630-584-7570
      Neoflite Flying Club
      • Rentals
      • Flight Training
      ELMHURST, IL
      630-279-7273
      T-Bird Aviation, Inc.
        On field: S
        630-587-9550
        The Pilot Shop
          On field: E
          41.914541-88.239527
          630-377-6727
          Travel Express Aviation, LLC
          • Maintenance
          • Rentals
          • Sales
          • Flight Training
          On field: NE
          41.915372-88.239098
          630-584-6462
          Vagabond Flying Association
            On field: NE
            41.919268-88.239355
            847-695-3195
            Valley Air Service, Inc.
              ELGIN, IL
              41.909224-88.257262
              847-468-7473
              List Your Business in AOPA Airports

              Services at this airport:

              Services: 
              Engine Repair: MajorAirframe Repair: MajorBulk Oxygen: High/Low
              Fuel: 100LL Low-Lead, Jet A
              Transportation: Limousine, Courtesy Car, Van
              Rental Cars: 
              Budget  

              Expand Nearby restaurants, attractions

              Expand Member Comments

              AOPA member comments are are offered unedited and do not necessarily reflect the views of AOPA.

              Are you sure you want to delete this comment?

              CancelDelete

              Member-submitted Photos

              View all
              Upload your photos of Dupage

                Operations & More Information

                Lat/Long:N41 54.4232' / W88 14.8798'
                Charts:NACO: Chicago Sectional
                Mag Var:01W (1985)
                ARTCC:Chicago (ZAU)
                FSS:Kankakee (IKK)
                1-800-WXBRIEF
                NOTAM Facility:DPA
                Approach/Departure Control FacilityORD
                Pattern Altitude:Fixed Wing: 1559 MSL
                Wind Indicator:Lighted
                Seg. Circle:No
                Lighting:Atc-Ctl

                Aircraft & Activity

                Based GA Aircraft

                Single Engine:175
                Multi Engine:34
                Jets:36
                Helicopters:5
                Gliders:
                Ultralights:

                Airport Activity

                GA Local:31,223
                GA Itinerant:46,587
                Commercial:18
                Air Taxi:11,654
                Military:507

                (12-month period ending on 7/31/2008)

                Air Safety Institute Resources

                Accident Reports

                Expand Communications Card

                Contact Addresses

                ASN Volunteer:Owner:Airport Manager:
                Daniel SwansonDupage Airport AuthorityDavid Bird
                2700 International Drive Ste 2002700 Int'L Drive, Ste 200
                West Chicago, IL 60185-0787West Chicago, IL 60185-0787
                630-584-2211 (Office) 630-584-2211 (Office)
                Contact the ASN Volunteer
                Airport Manager Admin