FAA Information Effective: 3/7/2013

AOPA members save at 3,000+ GA airports.Book Now!
KINDCivil
Public Use

Indianapolis International

Indianapolis, IN
Phone: 317-487-9594
www.indianapolisairport.com
Nearby airports


Overview

Attendance: Attended
Year-round, 7 Days a Week,All
Tower:ATCT plus Terminal Radar Approach Control, 24 hrs/day, everyday, year-roundTower Hrs: 24
Elevation:797 ft (242.9 m) (Surveyed)
Location:7.00 mi. SW of Indianapolis
Beacon: Present (white-green)
Approaches:ILS, LOC, RNAV, GPS, RNP
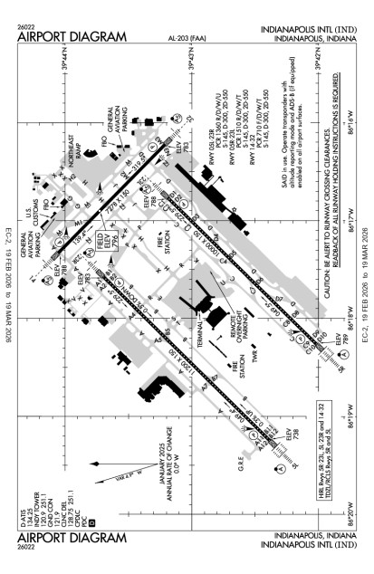
Runways:05L/23R, 05R/23L, 14/32
Longest paved runway: 11200 ft
Fees:Landing, Ramp, Parking
 Embed this
  • METARs
  • TAFs

Expand Instrument Approach Procedures

Use subject to Terms and Conditions

  • Satellite
  • Diagram
  • Sectional

Minimum Fuel Prices

Jet A$ 6.15  (full service)
100 LL$ 7.77  (full service)

Alerts

Security Directive SD-8G

Call FBO for transient pilot security procedures or after hours escort. Learn More

Expand Additional Remarks

Runway 05L/23R

Dimensions:11200 x 150ft. / 3413.8 x 45.7mWeight Bearing Cap: Single wheel: 145000 lb
Surface:concrete, grooved, in good conditionRunway Edge Lights:high
#Elev/HdgTr. Pat.MarkingsApproach LightsTD PointILS/LOCObstructionsComments/Noise
05L738.3ft. MSL
47° mag
45° true
0.4% up
precisionapproach: 2400ft/High-Intensity/Sequenced Flashers, Cat-II/III Config.
centerline: Centerline Lights are present
visual glide slope: 4-Light/Left-Side PAPI
runway visual range: Touchdown, Midfield, Rollout
end touchdown: End Touchdown Lights are present
ILS/DME
23R783.2ft. MSL
227° mag
225° true
0.4% down
precisioncenterline: Centerline Lights are present
visual glide slope: 4-Light/Left-Side PAPI
runway visual range: Touchdown, Midfield, Rollout
approach: 1400ft/Medium-Intensity/Runway Alignment Indicators
ILS/DMEAntenna, 138 ft Left of center, 140 ft high, 5,052 ft from end, 34:1 clearance slope

Runway 05R/23L

Dimensions:10000 x 150ft. / 3048.0 x 45.7mWeight Bearing Cap: Single wheel: 145000 lb
Surface:concrete, grooved, in good conditionRunway Edge Lights:high
#Elev/HdgTr. Pat.MarkingsApproach LightsTD PointILS/LOCObstructionsComments/Noise
05R788.8ft. MSL
47° mag
45° true
0.0% down
precisioncenterline: Centerline Lights are present
approach: 2400ft/High-Intensity/Sequenced Flashers, Cat-II/III Config.
end touchdown: End Touchdown Lights are present
runway visual range: Touchdown, Midfield, Rollout
visual glide slope: 4-Light/Left-Side PAPI
ILS/DME
23L787.6ft. MSL
227° mag
225° true
0.0% up
precisioncenterline: Centerline Lights are present
approach: 1400ft/Medium-Intensity/Runway Alignment Indicators
visual glide slope: 4-Light/Right-Side PAPI
ILS/DMEAntenna, 484 ft Right of center, 78 ft high, 3,960 ft from end, 48:1 clearance slope

Runway 14/32

Dimensions:7280 x 150ft. / 2218.9 x 45.7mWeight Bearing Cap: Single wheel: 145000 lb
Surface:asphalt, grooved, in good conditionRunway Edge Lights:high
#Elev/HdgTr. Pat.MarkingsApproach LightsTD PointILS/LOCObstructionsComments/Noise
14787.3ft. MSL
137° mag
135° true
0.1% down
precisionapproach: 1400ft/Medium-Intensity/Runway Alignment Indicators
visual glide slope: 4-Light/Left-Side PAPI
ILSAntenna, 756 ft Left of center, 61 ft high, 2,370 ft from end, 35:1 clearance slope
Unusbl Byd 8 Deg Rgt of Course
32782.4ft. MSL
317° mag
315° true
0.1% up
precisionvisual glide slope: 4-Light/Right-Side PAPI
runway visual range: Touchdown
approach: 1400ft/Medium-Intensity/Runway Alignment Indicators
runway visual value: RVV is present
ILSTrees, 391 ft Right of center, 56 ft high, 2,264 ft from end, 36:1 clearance slope
Vgsi and Ils Glidepath Not Coincident

Business/Service Information

Name LocationFreq. MonitoredMain Phone
Chance Aviation Services
    INDIANAPOLIS, IN
    317-486-8802
    Million Air
    • $7.77
    • $6.76
    On field: NE
    UNICOM: 122.95
    ARINC: 130.575
    800-365-6734
    Signature Fight Support
    • $7.98
    • $6.15
    On field: NE
    39.725805-86.272202
    UNICOM: 122.95
    ARINC: 129.725
    317-248-4900
    Indy ATC
    • Flight Training
    On field: N
    39.732142-86.302328
    317-381-6000
    List Your Business in AOPA Airports

    Services at this airport:

    Services: 
    Engine Repair: MajorAirframe Repair: MajorBulk Oxygen: High
    Fuel: 100LL Low-Lead, Jet A, Jet A1 +Icing Inhibitor
    Transportation: Shuttle Bus, Courtesy Car, Public, Van
    Rental Cars: 
    AlamoBook Now! 866-315-9155
    NationalBook Now! 866-315-9155
    Avis  
    Budget  
    Dollar  
    Hertz  

    Customs: International Landing Rights

    Expand Nearby restaurants, attractions

    Expand Member Comments

    AOPA member comments are are offered unedited and do not necessarily reflect the views of AOPA.

    Are you sure you want to delete this comment?

    CancelDelete

    Operations & More Information

    Lat/Long:N39 43.0379' / W86 17.6797'
    Charts:NACO: St Louis Sectional
    Mag Var:02W (1985)
    ARTCC:Indianapolis (ZID)
    FSS:Terre Haute (HUF)
    1-800-WXBRIEF
    NOTAM Facility:IND
    Approach/Departure Control Facility
    Pattern Altitude:Fixed Wing: 1597 MSL
    Wind Indicator:Lighted
    Seg. Circle:No
    Lighting:No data

    Aircraft & Activity

    Based GA Aircraft

    Single Engine:7
    Multi Engine:10
    Jets:42
    Helicopters:3
    Gliders:
    Ultralights:

    Airport Activity

    GA Local:0
    GA Itinerant:17,309
    Commercial:99,532
    Air Taxi:41,577
    Military:1,279

    (12-month period ending on 12/31/2011)

    Air Safety Institute Resources

    Accident Reports

    Expand Communications Card

    Contact Addresses

    ASN Volunteer:Owner:Airport Manager:
    Babar SulemanIndianapolis Airport AuthorityRobert Duncan
    7800 Col. H. Weir Cook Memorial Dr.7800 Col. H. Weir Cook Memorial Dr.
    Indianapolis, IN 46241Indianapolis, IN 46241
    317-487-9594 (Office) 317-487-9594 (Office)
    Contact the ASN Volunteer
    Airport Manager Admin