FAA Information Effective: 3/7/2013

AOPA members save at 3,000+ GA airports.Book Now!
KFCMCivil
Public Use

Flying Cloud

Minneapolis, MN
Phone: 612-919-4207
www.mspmac.org
Nearby airports


Overview

Attendance: Attended
Year-round, 7 Days a Week,0700-2200
Tower:Air Traffic Control Tower, 14 hrs/day, everyday, year-round
Elevation:906 ft (276.1 m) (Surveyed)
Location:11.00 mi. SW of Minneapolis
Beacon: Present (white-green)
Approaches:ILS, DME, LOC, VOR, RNAV, GPS
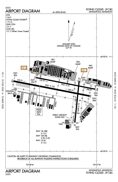
Runways:10L/28R, 10R/28L, 18/36
Longest paved runway: 5000 ft
Fees:No data
 Embed this
  • METARs
  • TAFs

Expand Instrument Approach Procedures

Use subject to Terms and Conditions

  • Satellite
  • Diagram
  • Sectional

Minimum Fuel Prices

100 LL$ 5.52  (self service)
Jet A$ 6.07  (full service)
100LL$ 6.35  (full service service)
100 LL$ 5.78  (full service)
Jet-A$ 6.01  (full service service)

Expand Additional Remarks

Runway 10L/28R

Dimensions:3900 x 75ft. / 1188.7 x 22.9mWeight Bearing Cap: Single wheel: 30000 lb
Surface:asphalt, no surface treatment, in good conditionRunway Edge Lights:medium
#Elev/HdgTr. Pat.MarkingsApproach LightsTD PointILS/LOCObstructionsComments/Noise
10L906.0ft. MSL
98° mag
101° true
0.2% down
non-precisionvisual glide slope: 4-Light/Left-Side PAPI
28R899.0ft. MSL
278° mag
281° true
0.2% up
non-precisionvisual glide slope: 4-Light/Left-Side PAPI

Runway 10R/28L

Dimensions:5000 x 100ft. / 1524.0 x 30.5mWeight Bearing Cap: Single wheel: 30000 lb
Surface:asphalt, no surface treatment, in good conditionRunway Edge Lights:high
#Elev/HdgTr. Pat.MarkingsApproach LightsTD PointILS/LOCObstructionsComments/Noise
10R896.4ft. MSL
98° mag
101° true
0.0% up
precisionvisual glide slope: 4-Light/Left-Side PAPI
approach: 1400ft/Medium-Intensity/Runway Alignment Indicators
ILS
28L898.0ft. MSL
278° mag
281° true
0.0% down
non-precisionvisual glide slope: 4-Light/Left-Side PAPI
runway end identifier: REIL is present
Road, 540 ft Left of center, 15 ft high, 580 ft from end, 25:1 clearance slope

Runway 18/36

Dimensions:2691 x 75ft. / 820.2 x 22.9mWeight Bearing Cap: Single wheel: 12500 lb
Surface:asphalt, no surface treatment, in good conditionRunway Edge Lights:medium
#Elev/HdgTr. Pat.MarkingsApproach LightsTD PointILS/LOCObstructionsComments/Noise
18899.1ft. MSL
183° mag
186° true
0.2% up
non-precisionvisual glide slope: 4-Box/Left-Side VASI
runway end identifier: REIL is present
Tree, 284 ft Left of center, 45 ft high, 940 ft from end, 16:1 clearance slope
36904.9ft. MSL
3° mag
6° true
0.2% down
non-precisionvisual glide slope: 4-Box/Left-Side VASI
runway end identifier: REIL is present
Road, 250 ft Right of center, 15 ft high, 210 ft from end
+ 8 Ft Fence, 100 Ft Fm Ry End, 200 Ft R, Lgtd Ry 36 VASI Operates Continuously

Business/Service Information

Name LocationFreq. MonitoredMain Phone
12 Kilo Delta Flying Club
    Eden Prairie, MN
    651-356-1012
    Elliott Aviation
    • Maintenance
    • $6.44
    • $6.09
    • Sales
    On field: NE
    44.829030-93.451488
    UNICOM: 122.95
    ARINC: 130.6
    952-944-1200
    Executive Aviation
    • Maintenance
    • $6.44
    • $6.09
    • Sales
    On field: SE
    44.823917-93.451424
    UNICOM: 122.95
    952-943-1519
    Hummingbird Aviation, LLC
    • Maintenance
    • $5.78
    • Rentals
    • Sales
    • Flight Training
    On field: NE
    952-944-2628
    Hummingbird Helicopters of MN, LLC.
    • Maintenance
    • Fuel
    • Rentals
    • Sales
    • Flight Training
    On field: NE
    952-944-2628
    Inflight Pilot Training
    • Fuel
    • Rentals
    • Flight Training
    On field: SE
    952-698-3000
    Inflight Pilot Training Flying Club
    • Flight Training
    EDEN PRAIRE, MN
    952-698-3000
    Modern Avionics
    • Maintenance
    • $5.52
    • Sales
    On field: SE
    952-941-2783
    Premier Jet Center
    • Maintenance
    • $6.44
    • $6.09
    • $6.35
    • $6.01
    • Rentals
    • Flight Training
    On field: NW
    44.830217-93.462925
    UNICOM: 122.85
    ARINC: 130.625
    952-641-2020
    Thunderbird Aviation
    • Maintenance
    • $6.02
    • $6.07
    • Rentals
    • Sales
    • Flight Training
    On field: N
    ARINC: 130.05952-941-1212
    Twin City Cloud 7 Flying Club
    • Flight Training
    EDEN PRAIRIE, MN
    List Your Business in AOPA Airports

    Services at this airport:

    Services: 
    Engine Repair: MajorAirframe Repair: Major
    Fuel: 100LL Low-Lead, Jet A

    Expand Nearby restaurants, attractions

    Expand Member Comments

    AOPA member comments are are offered unedited and do not necessarily reflect the views of AOPA.

    Are you sure you want to delete this comment?

    CancelDelete

    Operations & More Information

    Lat/Long:N44 49.6480' / W93 27.5145'
    Charts:NACO: Twin Cities Sectional
    Mag Var:03E (1985)
    ARTCC:Minneapolis (ZMP)
    FSS:Princeton (PNM)
    1-800-WXBRIEF
    NOTAM Facility:FCM
    Approach/Departure Control FacilityMSP
    Pattern Altitude:Fixed Wing: 1906 MSL
    Wind Indicator:Lighted
    Seg. Circle:No
    Lighting:Pilot Activated Lighting:
    • high intensity: 7 clicks in 7 secs
    • medium intensity: 5 clicks in 5 secs
    • low intensity: 3 clicks in 3 secs
    When ATCT Clsd, Actvt & Incr Intst HIRL Rys 10r/28l & MIRL Ry 18/36; MALSR Ry 10r; PAPI Rys 10r, 28l, VASI 18 & 36; REIL Ry 28l, 18 & 36 - 119.15

    Aircraft & Activity

    Based GA Aircraft

    Single Engine:263
    Multi Engine:49
    Jets:13
    Helicopters:7
    Gliders:
    Ultralights:

    Airport Activity

    GA Local:65,888
    GA Itinerant:56,770
    Commercial:
    Air Taxi:1,246
    Military:663

    (12-month period ending on 4/30/2011)

    Air Safety Institute Resources

    Accident Reports

    Expand Communications Card

    Contact Addresses

    ASN Volunteer:Owner:Airport Manager:
    Mitchell AndersonMetropolitan Airport CommissionJeff Nawrocki
    6040 28th Ave S6040 28th Ave S.
    Minneapolis, MN 55450Minneapolis, MN 55450
    612-919-4207 (Office) 612-919-4207 (Office)
    Contact the ASN Volunteer
    Airport Manager Admin
    Mac Shop at Fcm: 952-941-3545