FAA Information Effective: 3/7/2013

AOPA members save at 3,000+ GA airports.Book Now!
KJXNCivil
Public Use

Jackson County-Reynolds Field

Jackson, MI
Phone: 517-788-4225
www.co.jackson.mi.us
Nearby airports


Overview

Attendance: Attended
Apr-Oct, 7 Days a Week,0800-1800Nov-Mar/Sat-Sun/0900-1800Nov-Mar/Mon-Fri/0800-1800
Tower:Air Traffic Control Tower, 14 hrs/day, everyday, year-round
Elevation:1,001 ft (305.1 m) (Surveyed)
Location:2.00 mi. W of Jackson
Beacon: Present (white-green)
Approaches:ILS, DME, LOC, VOR, RNAV, GPS, NDB
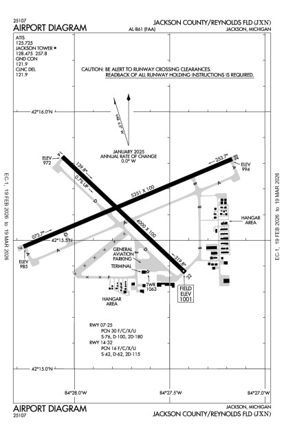
Runways:06/24, 14/32
Longest paved runway: 5349 ft
Fees:Parking, Tiedown, Hangar
 Embed this
  • METARs
  • TAFs

Expand Instrument Approach Procedures

Use subject to Terms and Conditions

  • Satellite
  • Diagram
  • Sectional

Minimum Fuel Prices

Jet A$ 5.99  (full service)
100 LL$ 5.51  (full service)

Expand Additional Remarks

Runway 06/24

Dimensions:5349 x 150ft. / 1630.4 x 45.7mWeight Bearing Cap: Single wheel: 75000 lb
Surface:asphalt, grooved, in fair conditionRunway Edge Lights:high
#Elev/HdgTr. Pat.MarkingsApproach LightsTD PointILS/LOCObstructionsComments/Noise
06992.3ft. MSL
56° mag
51° true
0.1% down
precisionvisual glide slope: 4-Box/Left-Side VASI
440' Disp Threshold
Railroad, 465 ft Right of center, 20 ft high, 201 ft from end
6 Ft Fence, Rr, Bldg & Road Ry 06 Apch Ratio 20:1 at Dsplcd Thld, Ovr +60 Ft Tree, 1209 Ft Dstc, 100 Ft Rt
24989.4ft. MSL
236° mag
231° true
0.1% up
precisionapproach: 1400ft/Medium-Intensity/Runway Alignment Indicators
ILSTrees, 580 ft Right of center, 42 ft high, 1,628 ft from end, 34:1 clearance slope

Runway 14/32

Dimensions:4000 x 100ft. / 1219.2 x 30.5mWeight Bearing Cap: Single wheel: 75000 lb
Surface:asphalt, grooved, in good conditionRunway Edge Lights:medium
#Elev/HdgTr. Pat.MarkingsApproach LightsTD PointILS/LOCObstructionsComments/Noise
14972.0ft. MSL
138° mag
133° true
0.7% up
non-precisionvisual glide slope: 4-Light/Left-Side PAPI
Trees, Both-Sides, 80 ft high, 2,600 ft from end, 30:1 clearance slope
SW 12 Ft Fence 452 Ft Dstc
321000.5ft. MSL
318° mag
313° true
0.7% down
non-precisionvisual glide slope: 4-Light/Left-Side PAPI
runway end identifier: REIL is present
Trees, Both-Sides, 68 ft high, 1,781 ft from end, 23:1 clearance slope

Business/Service Information

Name LocationFreq. MonitoredMain Phone
Day Aviation
  • Maintenance
  • Sales
On field: E
UNICOM: 131.8
ARINC: 131.8
989-362-0052
Jackson Community College Flight Center
  • Flight Training
On field: CTR
517-787-7012
JCC Flight Center
  • Flight Training
On field: SW
517-787-7012
Skyway Aviation
  • Maintenance
  • $5.51
  • $5.99
  • Sales
  • Flight Training
On field: S
42.255904-84.459243
UNICOM: 122.95
517-787-2460
List Your Business in AOPA Airports

Services at this airport:

Services: 
Engine Repair: MajorAirframe Repair: Major
Fuel: 100LL Low-Lead, Jet A
Transportation: Limousine
Rental Cars: 
EnterpriseBook Now! 866-315-9155
Avis  

Expand Nearby restaurants, attractions

Expand Member Comments

AOPA member comments are are offered unedited and do not necessarily reflect the views of AOPA.

Are you sure you want to delete this comment?

CancelDelete

Operations & More Information

Lat/Long:N42 15.6250' / W84 27.6267'
Charts:NACO: Detroit Sectional
Mag Var:05W (1985)
ARTCC:Cleveland (ZOB)
FSS:Lansing (LAN)
1-800-WXBRIEF
NOTAM Facility:JXN
Approach/Departure Control FacilityLAN
Pattern Altitude:Light Aircraft: 2000 MSL; Heavy Aircraft: 2500 MSL
Wind Indicator:Lighted
Seg. Circle:Yes
Lighting:Pilot Activated Lighting:
  • high intensity: 7 clicks in 5 secs
  • medium intensity: 5 clicks in 5 secs
  • low intensity: 3 clicks in 5 secs
When ATCT Clsd Actvt MALSR Ry 24; VASI Ry 06; HIRL Ry 06/24; REIL Ry 32; PAPI Ry 14/32; MIRL Ry 14/32 - CTAF

Aircraft & Activity

Based GA Aircraft

Single Engine:85
Multi Engine:14
Jets:3
Helicopters:3
Gliders:
Ultralights:4

Airport Activity

GA Local:32,000
GA Itinerant:24,920
Commercial:
Air Taxi:
Military:

(12-month period ending on 12/31/2010)

Air Safety Institute Resources

Accident Reports

Expand Communications Card

Contact Addresses

ASN Volunteer:Owner:Airport Manager:
Chester DziakJackson CountyKent L Maurer
120 West Michigan Ave, Jackson Co Tower Bld 5th Fl3606 Wildwood Ave
Jackson, MI 49201Jackson, MI 49202
517-788-4335 (Office) 517-788-4225 (Office)
Contact the ASN Volunteer
Airport Manager Admin