FAA Information Effective: 3/7/2013

AOPA members save at 3,000+ GA airports.Book Now!
KLGBCivil
Public Use

Long Beach /Daugherty Field

Long Beach, CA
Phone: 562-570-2605
www.lgb.org
Nearby airports


Overview

Attendance: Attended
Year-round, 7 Days a Week,All
Tower:Air Traffic Control Tower, 18 hrs/day, everyday, year-round
Elevation:60 ft (18.3 m) (Surveyed)
Location:3.00 mi. NE of Long Beach
Beacon: Present (white-green)
Approaches:ILS, LOC, VOR, RNAV, GPS, TACAN, RNP
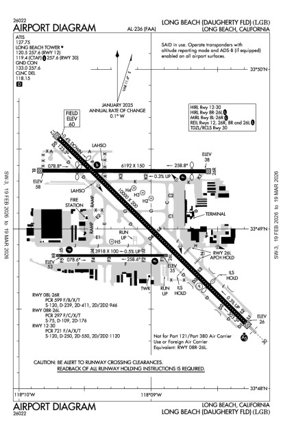
Runways:07L/25R, 07R/25L, 12/30, 16L/34R, 16R/34L
Longest paved runway: 10003 ft
Fees:No data
 Embed this
  • METARs
  • TAFs

Expand Instrument Approach Procedures

Use subject to Terms and Conditions

  • Satellite
  • Diagram
  • Sectional

Minimum Fuel Prices

Jet-A$ 5.65  (truck service)
100LL$ 6.36  (self-service service)
100LL$ 6.36  (full service service)
100LL$ 6.36  (truck service)
Jet-A$ 5.65  (full service service)

Alerts

Security Directive SD-8G

Call FBO for transient pilot security procedures or after hours escort. Learn More

Expand Additional Remarks

Runway 07L/25R

Dimensions:6191 x 150ft. / 1887.0 x 45.7mWeight Bearing Cap: Single wheel: 30000 lb
Surface:asphalt, porous friction course, in fair conditionRunway Edge Lights:medium
#Elev/HdgTr. Pat.MarkingsApproach LightsTD PointILS/LOCObstructionsComments/Noise
07L57.3ft. MSL
76° mag
90° true
0.3% down
non-precisionNo Data1305' Disp Threshold
Pole, 36 ft Right of center, 78 ft high, 200 ft from end, 12:1 clearance slope
6 Ft Fence 190 Ft Fm Ry End with Obstruction Lgt Apch Ratio 20:1 to Dsplcd Thr
25R36.8ft. MSL
256° mag
270° true
0.3% up
non-precisionvisual glide slope: 4-Box/Left-Side VASI
runway end identifier: REIL is present
530' Disp Threshold
Road, 200 ft Right of center, 16 ft high, 300 ft from end, 6:1 clearance slope
Apch Ratio 34:1 to Dsplcd Thr

Runway 07R/25L

Dimensions:5421 x 150ft. / 1652.3 x 45.7mWeight Bearing Cap: Single wheel: 30000 lb
Surface:asphalt, no surface treatment, in good conditionRunway Edge Lights:high
#Elev/HdgTr. Pat.MarkingsApproach LightsTD PointILS/LOCObstructionsComments/Noise
07R52.6ft. MSL
76° mag
90° true
0.4% down
non-precisionNo DataTower, 500 ft Right of center, 102 ft high, 2,500 ft from end, 22:1 clearance slope
Lgtd Tower 152 Ft AGL 2500 Ft West & 500 Ft South of Ry Thld
25L31.1ft. MSL
256° mag
270° true
0.4% up
non-precisionrunway end identifier: REIL is present
visual glide slope: 4-Light/Left-Side PAPI
1523' Disp Threshold
Trees, 300 ft Right of center, 61 ft high, 1,420 ft from end, 20:1 clearance slope
PAPI Out of Service Indefly

Runway 12/30

Dimensions:10003 x 200ft. / 3048.9 x 61.0mWeight Bearing Cap: Single wheel: 30000 lb
Surface:asphalt, grooved, in good conditionRunway Edge Lights:high
#Elev/HdgTr. Pat.MarkingsApproach LightsTD PointILS/LOCObstructionsComments/Noise
1260.3ft. MSL
121° mag
135° true
0.4% down
precisionvisual glide slope: 4-Box/Left-Side VASI
runway end identifier: REIL is present
centerline: Centerline Lights are present
runway visual range: Rollout
1351' Disp Threshold
Fence, 500 ft Left of center, 8 ft high, 200 ft from end
6 Ft Pole 190 Ft Fm Ry End; Fence 490 Ft L of Cntrln Apch Ratio 50:1 to Dsplcd Thr
3025.7ft. MSL
301° mag
315° true
0.4% up
precisionvisual glide slope: 4-Light/Left-Side PAPI
centerline: Centerline Lights are present
approach: 1400ft/Medium-Intensity/Runway Alignment Indicators
end touchdown: End Touchdown Lights are present
runway visual range: Touchdown
2002' Disp Threshold
ILSTree, 630 ft Right of center, 42 ft high, 1,480 ft from end, 30:1 clearance slope
Apch Ratio 50:1 to Dsplcd Thr

Runway 16L/34R

Dimensions:3330 x 75ft. / 1015.0 x 22.9mWeight Bearing Cap: Single wheel: 12500 lb
Surface:asphalt, no surface treatment, in fair conditionRunway Edge Lights:
#Elev/HdgTr. Pat.MarkingsApproach LightsTD PointILS/LOCObstructionsComments/Noise
16L40.4ft. MSL
166° mag
180° true
0.2% down
basicNo DataFence, Both-Sides, 6 ft high, 200 ft from end
+6' Fence at 190' Fm Ry End Apch Ratio 20:1 to Dsplcd Thld
34R33.5ft. MSL
346° mag
0° true
0.2% up
basicNo Data1156' Disp Threshold
Road, Both-Sides, 15 ft high, 210 ft from end
+8' Fence at 190' Fm Ry End Apch Ratio 20:1 to Dsplcd Thr

Runway 16R/34L

Dimensions:4470 x 75ft. / 1362.5 x 22.9mWeight Bearing Cap: Single wheel: 12500 lb
Surface:asphalt, no surface treatment, in fair conditionRunway Edge Lights:
#Elev/HdgTr. Pat.MarkingsApproach LightsTD PointILS/LOCObstructionsComments/Noise
16R49.7ft. MSL
166° mag
180° true
0.1% down
basicvisual glide slope: 4-Box/Left-Side VASI
310' Disp Threshold
Fence, ft of center, 15 ft high, 200 ft from end
+6' Fence at 120' Fm Ry End with Obstruction Lgts Apch Ratio 20:1 to Dsplcd Thr
34L43.9ft. MSL
346° mag
0° true
0.1% up
basicNo DataRoad, ft of center, 15 ft high, 550 ft from end, 23:1 clearance slope

Business/Service Information

Name LocationFreq. MonitoredMain Phone
AFTC
  • Maintenance
  • Rentals
  • Flight Training
Long Beach, CA
33.816451-118.159676
562-363-6406
Aces High Aviation
  • Rentals
  • Flight Training
On field: S
33.811628-118.154633
562-726-3719
Aero Aviation, LLC
  • Rentals
  • Sales
  • Flight Training
On field: NE
562-425-6774
Aero Technology
  • Maintenance
  • Sales
On field: S
562-595-6055
AFIT
  • Flight Training
Long Beach, CA
33.816486-118.159375
866-270-8224
AirFlite
  • Fuel
On field: W
33.816241-118.158259
ARINC: 129.375562-490-6200
Angel City Flyers
  • Maintenance
  • Rentals
  • Sales
  • Flight Training
On field: SW
562-366-4806
ATP Flight School – LGB
  • Rentals
  • Flight Training
On field: NW
33.810942-118.153002
800-255-2877
California Flight Center
  • Maintenance
  • Rentals
  • Sales
  • Flight Training
On field: W
33.812386-118.161306
UNICOM: 122.95
562-490-2662
Cypress College
    CYPRESS, CA
    714-484-7411
    Eagle Aviation
    • Flight Training
    On field: NE
    562-377-0774
    FlightSafety Int'l
    • Flight Training
    On field: E
    800-487-7670
    FliteServ
    • $6.36
    • $6.36
    • $6.36
    • $5.65
    • $5.65
    On field: SW
    33.812424-118.161697
    562-760-4052
    Gulfstream Aerospace Corporation
    • Maintenance
    On field: CTR
    UNICOM: 122.95
    562-420-1818
    JFI JetCenter
      LONG BEACH, CA
      562-425-8800
      Long Beach City College
        LONG BEACH, CA
        562-938-4111
        Long Beach Flying Club & Flight Academy
        • Maintenance
        • Rentals
        • Sales
        • Flight Training
        On field: S
        562-290-0321
        Los Angeles Helicopters
        • Maintenance
        • Fuel
        • Rentals
        • Sales
        • Flight Training
        On field: NE
        562-377-0396
        Pacific Air Center
        • Fuel
        • Sales
        On field: SW
        33.812243-118.160201
        562-513-5222
        Rainbow Air
        • Maintenance
        • Fuel
        • Rentals
        • Flight Training
        On field: W
        UNICOM: 122.85
        562-424-0119
        Ray's Flying Club, Inc.
        • Rentals
        • Flight Training
        On field: E
        33.811673-118.151865
        714-994-4299
        Rotor Aviation, Inc.
        • Rentals
        • Flight Training
        On field: W
        562-595-6867
        Signature Flight Support
        • Fuel
        • Sales
        On field: S
        ARINC: 130.6562-997-0700
        Sunset Flying, Inc
        • Rentals
        • Flight Training
        On field: SW
        33.812172-118.158689
        866-759-3672
        West Coast Aircraft Maintenance
        • Maintenance
        LONG BEACH, CA
        562-981-6064
        List Your Business in AOPA Airports

        Services at this airport:

        Services: 
        Engine Repair: MajorAirframe Repair: MajorBulk Oxygen: High/Low
        Fuel: 100LL Low-Lead, Jet A
        Transportation: Limousine, Public, Shuttle Bus
        Rental Cars: 
        NationalBook Now! 866-315-9155
        Avis  
        Budget  
        Hertz  

        Customs: International Landing Rights

        Expand Nearby restaurants, attractions

        Expand Member Comments

        AOPA member comments are are offered unedited and do not necessarily reflect the views of AOPA.

        Are you sure you want to delete this comment?

        CancelDelete

        Operations & More Information

        Lat/Long:N33 49.0652' / W118 9.1040'
        Charts:NACO: Los Angeles Sectional
        Mag Var:14E (1980)
        ARTCC:Los Angeles (ZLA)
        FSS:Prescott (PRC)
        1-800-WXBRIEF
        NOTAM Facility:LGB
        Approach/Departure Control FacilitySCT
        Pattern Altitude:Tpa is 1000 Ft AGL for Piston Acft and 1500 Ft AGL for Large or Turbine Powered Acft Light Aircraft: 1000 MSL; Heavy Aircraft: 1500 MSL
        Wind Indicator:Lighted
        Seg. Circle:No
        Lighting:Pilot Activated Lighting:
        • high intensity: 7 clicks in 5 secs
        • medium intensity: 5 clicks in 5 secs
        • low intensity: 3 clicks in 5 secs
        Actvt MALSR Ry 30 When ATCT Clsd - CTAF; Ry 12/30 HIRL Lgtd During Hrs ATCT Clsd. REIL Rys 12, 25r & 25l, MIRL Ry 07l/25r, HIRL Ry 07r/25l, Cl Tdzl Lights Ry 12/30 Not Avbl When ATCT Clsd. VASI Ry 25r and PAPI Ry 25l Oper 0700-2200 Only. VASI Ry 12 and PAPI Ry 30 Oper Cont

        Aircraft & Activity

        Based GA Aircraft

        Single Engine:301
        Multi Engine:46
        Jets:46
        Helicopters:42
        Gliders:0
        Ultralights:

        Airport Activity

        GA Local:132,201
        GA Itinerant:103,095
        Commercial:30,197
        Air Taxi:5,411
        Military:867

        (12-month period ending on 9/30/2012)

        Air Safety Institute Resources

        Accident Reports

        Expand Communications Card

        Contact Addresses

        ASN Volunteer:Owner:Airport Manager:
        Candace RobinsonCity of Long BeachMario Rodriguez
        City Hall 333 W. Ocean4100 Donald Douglas Dr
        Long Beach, CA 90802Long Beach, CA 90808
        562-570-2600 (Office) 562-570-2605 (Office)
        Contact the ASN Volunteer
        Airport Manager Admin
        Carol Carlton-Lowe (Asst Mgr) 562-570-2630. Karl Zittel (Superintendent Airport Opns) 562-570-2632. Arpt Bureau Fax (562) 570-2601 Noise Complaints Public Affairs (562) 570-2678