FAA Information Effective: 3/7/2013

AOPA members save at 3,000+ GA airports.Book Now!
KMICCivil
Public Use

Crystal

Minneapolis, MN
Phone: 763-537-2058
Nearby airports


Overview

Attendance: Attended
Year-round,Sat-Sun/0700-1900Year-round,Mon-Fri/0700-2100
Tower:Air Traffic Control Tower, 14 hrs/day, everyday, year-round
Elevation:869 ft (264.9 m) (Surveyed)
Location:8.00 mi. NW of Minneapolis
Beacon: Present (white-green)
Approaches:VOR, RNAV, GPS
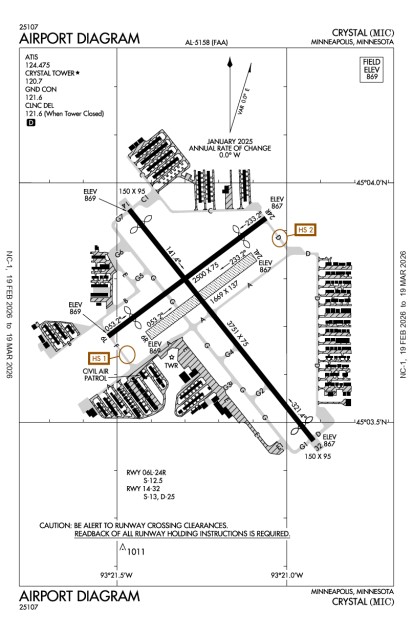
Runways:06L/24R, 06R/24L (unpaved) , 14L/32R, 14R/32L
Longest paved runway: 3266 ft
Fees:No data
 Embed this
  • METARs
  • TAFs

Expand Instrument Approach Procedures

Use subject to Terms and Conditions

  • Satellite
  • Diagram
  • Sectional

Minimum Fuel Prices

100LL$ 4.25  (full service service)
Jet-A$ 4.25  (full service service)

Expand Additional Remarks

Runway 06L/24R

Dimensions:2499 x 75ft. / 761.7 x 22.9mWeight Bearing Cap: Single wheel: 12500 lb
Surface:asphalt, no surface treatment, in good conditionRunway Edge Lights:medium
#Elev/HdgTr. Pat.MarkingsApproach LightsTD PointILS/LOCObstructionsComments/Noise
06L869.0ft. MSL
51° mag
53° true
0.1% down
basicvisual glide slope: 4-Box/Left-Side VASI
390' Disp Threshold
Tree, 141 ft Left of center, 58 ft high, 1,200 ft from end, 17:1 clearance slope
Ry 06l 27:1 to Dsplcd Thld
24R866.8ft. MSL
231° mag
233° true
0.1% up
basicvisual glide slope: 4-Box/Left-Side VASI
389' Disp Threshold
Tree, 171 ft Right of center, 46 ft high, 672 ft from end, 10:1 clearance slope
Ry 24r 23:1 to Dsplcd Thld

Runway 06R/24L

Dimensions:2122 x 150ft. / 646.8 x 45.7mWeight Bearing Cap:
Surface:turf, grass, sod, no surface treatment, in fair conditionRunway Edge Lights:
#Elev/HdgTr. Pat.MarkingsApproach LightsTD PointILS/LOCObstructionsComments/Noise
06R868.9ft. MSL
51° mag
53° true
0.1% down
noneNo DataRy 06r/24l Mkd with Yellow Cones
24L867.0ft. MSL
231° mag
233° true
0.1% up
noneNo Data

Runway 14L/32R

Dimensions:3263 x 75ft. / 994.6 x 22.9mWeight Bearing Cap: Single wheel: 13000 lb
Surface:asphalt, no surface treatment, in good conditionRunway Edge Lights:medium
#Elev/HdgTr. Pat.MarkingsApproach LightsTD PointILS/LOCObstructionsComments/Noise
14L867.5ft. MSL
139° mag
141° true
0.0% down
non-precisionrunway end identifier: REIL is present
visual glide slope: 4-Box/Left-Side VASI
32R866.5ft. MSL
319° mag
321° true
0.0% up
non-precisionvisual glide slope: 4-Box/Left-Side VASI
runway end identifier: REIL is present

Runway 14R/32L

Dimensions:3266 x 75ft. / 995.5 x 22.9mWeight Bearing Cap: Single wheel: 13000 lb
Surface:asphalt, no surface treatment, in good conditionRunway Edge Lights:
#Elev/HdgTr. Pat.MarkingsApproach LightsTD PointILS/LOCObstructionsComments/Noise
14R867.8ft. MSL
139° mag
141° true
0.0% down
basicNo Data
32L866.5ft. MSL
319° mag
321° true
0.0% up
basicNo Data

Business/Service Information

Name LocationFreq. MonitoredMain Phone
Club Cherokee
    CRYSTAL, MN
    952-334-7171
    Maxwell Aircraft Service, Inc.
    • Maintenance
    On field: SW
    763-533-8611
    North of Sixty Flying, Inc.
    • Maintenance
    • $4.25
    • $4.25
    • Rentals
    • Sales
    • Flight Training
    On field: SE
    UNICOM: 122.95
    763-745-7888
    Thunderbird Aviation
    • Maintenance
    • Rentals
    • Sales
    • Flight Training
    On field: SW
    ARINC: 131.32763-533-4162
    YANKEE FLYING CLUB
      MINNEAPOLIS, MN
      612-724-4312
      List Your Business in AOPA Airports

      Services at this airport:

      Services: 
      Engine Repair: MajorAirframe Repair: Major
      Fuel: 100LL Low-Lead, Jet A

      Expand Nearby restaurants, attractions

      Expand Member Comments

      AOPA member comments are are offered unedited and do not necessarily reflect the views of AOPA.

      Are you sure you want to delete this comment?

      CancelDelete

      Member-submitted Photos

      View all
      Upload your photos of Crystal

        Operations & More Information

        Lat/Long:N45 3.7192' / W93 21.2363'
        Charts:NACO: Twin Cities Sectional
        Mag Var:02E (2000)
        ARTCC:Minneapolis (ZMP)
        FSS:Princeton (PNM)
        1-800-WXBRIEF
        NOTAM Facility:MIC
        Approach/Departure Control FacilityMSP
        Pattern Altitude:Fixed Wing: 1869 MSL
        Wind Indicator:Lighted
        Seg. Circle:No
        Lighting:Pilot Activated Lighting:
        • high intensity: 7 clicks in 5 secs
        • medium intensity: 5 clicks in 5 secs
        • low intensity: 3 clicks in 3 secs
        When ATCT Clsd Actvt MIRL Ry 06l/24r; REIL Ry14l/32r; MIRL Ry 14l/32r - CTAF

        Aircraft & Activity

        Based GA Aircraft

        Single Engine:172
        Multi Engine:12
        Jets:0
        Helicopters:8
        Gliders:
        Ultralights:

        Airport Activity

        GA Local:110,704
        GA Itinerant:68,457
        Commercial:
        Air Taxi:8,225
        Military:473

        (12-month period ending on 4/30/2011)

        Air Safety Institute Resources

        Accident Reports

        Expand Communications Card

        Contact Addresses

        ASN Volunteer:Owner:Airport Manager:
        Kevin RebmanMetropolitan Airport CommissionJeff Nawrocki
        6040 28th Avs S6040 28th Ave S
        Minneapolis, MN 55450Minneapolis, MN 55450
        612-726-8100 (Office) 763-537-2058 (Office)
        Contact the ASN Volunteer
        Airport Manager Admin
        Bernard Swanson, Maint Supsvr 763-537-4096