FAA Information Effective: 3/7/2013

AOPA members save at 3,000+ GA airports.Book Now!
KMYFCivil
Public Use

Montgomery Field

San Diego, CA
Phone: 858-573-1440
www.sandiego.gov/airports
Nearby airports


Overview

Attendance: Attended
Year-round,M-F/0600-1800
Tower:Air Traffic Control Tower, 15 hrs/day, everyday, year-round
Elevation:427 ft (130.1 m) (Surveyed)
Location:6.00 mi. N of San Diego
Beacon: Present (white-green)
Approaches:ILS, LOC, RNAV, GPS
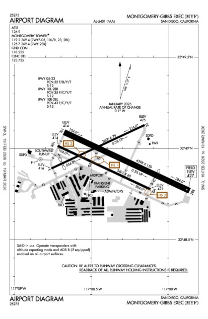
Runways:05/23, 10L/28R, 10R/28L, H1, H2, H3
Longest paved runway: 4577 ft
Fees:Tiedown, Landing, Parking, Hangar
 Embed this
  • METARs
  • TAFs

Expand Instrument Approach Procedures

Use subject to Terms and Conditions

  • Satellite
  • Diagram
  • Sectional

Expand Additional Remarks

Runway 05/23

Dimensions:3400 x 150ft. / 1036.3 x 45.7mWeight Bearing Cap: Single wheel: 12000 lb
Surface:asphalt, no surface treatment, in good conditionRunway Edge Lights:
#Elev/HdgTr. Pat.MarkingsApproach LightsTD PointILS/LOCObstructionsComments/Noise
05415.7ft. MSL
51° mag
65° true
0.3% up
basicNo Data389' Disp Threshold
Power-Line, 150 ft Left of center, 118 ft high, 3,200 ft from end, 25:1 clearance slope
30:1 Apch Slope to Dsplcd Thr
23425.4ft. MSL
231° mag
245° true
0.3% down
basicNo DataTree, 60 ft Left of center, 40 ft high, 1,400 ft from end, 30:1 clearance slope

Runway 10L/28R

Dimensions:4577 x 150ft. / 1395.1 x 45.7mWeight Bearing Cap: Single wheel: 12000 lb
Surface:asphalt, rubberized friction seal coat, in good conditionRunway Edge Lights:medium
#Elev/HdgTr. Pat.MarkingsApproach LightsTD PointILS/LOCObstructionsComments/Noise
10L413.7ft. MSL
101° mag
115° true
0.3% up
non-precisionvisual glide slope: 4-Box/Left-Side VASI
Tree, Both-Sides, 75 ft high, 1,000 ft from end, 10:1 clearance slope
28R427.3ft. MSL
281° mag
295° true
0.3% down
precisionvisual glide slope: 4-Box/Left-Side VASI
approach: 1400ft/Medium-Intensity/Runway Alignment Indicators
1176' Disp Threshold
ILS/DME50:1 Apch Slope to Dsplcd Thld

Runway 10R/28L

Dimensions:3401 x 60ft. / 1036.6 x 18.3mWeight Bearing Cap: Single wheel: 12000 lb
Surface:asphalt, rubberized friction seal coat, in good conditionRunway Edge Lights:
#Elev/HdgTr. Pat.MarkingsApproach LightsTD PointILS/LOCObstructionsComments/Noise
10R414.1ft. MSL
101° mag
115° true
0.2% up
basicNo DataTree, Both-Sides, 45 ft high, 1,000 ft from end, 17:1 clearance slope
28L421.2ft. MSL
281° mag
295° true
0.2% down
basicrunway end identifier: REIL is present
Tree, 280 ft Left of center, 70 ft high, 1,750 ft from end, 22:1 clearance slope

Helipad H1

Dimensions:100 x 100ft. / 30.5 x 30.5mWeight Bearing Cap:
Surface:asphalt, no surface treatment, in good conditionRunway Edge Lights:
#Elev/HdgTr. Pat.MarkingsApproach LightsTD PointILS/LOCObstructionsComments/Noise
H1No Data
No DataNo Data

Helipad H2

Dimensions:48 x 48ft. / 14.6 x 14.6mWeight Bearing Cap:
Surface:asphalt, no surface treatment, in good conditionRunway Edge Lights:
#Elev/HdgTr. Pat.MarkingsApproach LightsTD PointILS/LOCObstructionsComments/Noise
H2No Data
No DataNo Data

Helipad H3

Dimensions:48 x 48ft. / 14.6 x 14.6mWeight Bearing Cap:
Surface:asphalt, no surface treatment, condition not reportedRunway Edge Lights:
#Elev/HdgTr. Pat.MarkingsApproach LightsTD PointILS/LOCObstructionsComments/Noise
H3No Data
No DataNo Data

Business/Service Information

Name LocationFreq. MonitoredMain Phone
Advanced Aircraft Service
  • Maintenance
On field: SW
858-560-7599
AFAC
  • Rentals
  • Flight Training
On field: S
32.810578-117.139438
858-874-2422
ATP Flight School – MYF
  • Rentals
  • Flight Training
On field: NW
32.810127-117.140951
800-255-2877
Barnstorming Adventures
  • Rentals
On field: S
32.812796-117.141316
800-759-5667
Coast Flight
  • Rentals
  • Sales
  • Flight Training
On field: SW
32.812129-117.142367
858-279-4359
Consair Flyers Club
  • Flight Training
SAN DIEGO, CA
Corporate Helicopters of San Diego
  • Maintenance
  • Sales
  • Flight Training
On field: S
858-505-5650
Crownair Aviation
  • Maintenance
  • Fuel
  • Sales
On field: SW
32.814005-117.141252
858-277-1453
Eight Winds
  • Rentals
  • Flight Training
San Diego, CA
619-746-1440
Gibbs Flying Service, Inc.
  • Maintenance
  • Fuel
  • Sales
On field: SE
UNICOM: 122.85
858-277-0310
Golden Wings Flying Club
  • Flight Training
SAN DIEGO, CA
619-569-1906
Guaranteed Flight Training
  • Rentals
  • Flight Training
On field: S
858-349-4241
Learn to Fly San Diego
  • Rentals
  • Flight Training
SAN DIEGO, CA
32.810141-117.140742
858-694-0198
Let's Fly San Diego
  • Rentals
  • Flight Training
On field: SW
32.809785-117.139235
619-518-5794
Marv Golden Pilot Supplies
  • Sales
SAN DIEGO, CA
32.810181-117.141037
800-348-0014
National Air College
  • Maintenance
  • Fuel
  • Rentals
  • Sales
  • Flight Training
On field: SW
858-279-4595
Plus One Flyers
    On field: S
    32.810571-117.139457
    619-279-7499
    Plus One Flyers
    • Rentals
    On field: S
    32.810569-117.139438
    619-279-7499
    Powers Performance Aviation
    • Maintenance
    • Rentals
    • Flight Training
    EL CAJON, CA
    619-318-8364
    SDFC
      San Diego, CA
      32.810217-117.138033
      619-233-4100
      San Diego Flight Training International
      • Flight Training
      On field: S
      32.809523-117.139948
      858-569-1822
      San Diego Miramar College
        SAN DIEGO, CA
        619-388-7800
        CorpHeli
        • Maintenance
        • Sales
        • Flight Training
        On field: SW
        858-505-5650
        Spider's Aircraft Service, Inc.
        • Maintenance
        On field: SW
        858-277-0312
        List Your Business in AOPA Airports

        Services at this airport:

        Services: 
        Engine Repair: MajorAirframe Repair: MajorBulk Oxygen: High
        Fuel: 100LL Low-Lead, Jet A
        Transportation: Public
        Rental Cars: 
        EnterpriseBook Now! 866-315-9155
        Avis  
        Hertz  

        Expand Nearby restaurants, attractions

        Expand Member Comments

        AOPA member comments are are offered unedited and do not necessarily reflect the views of AOPA.

        Are you sure you want to delete this comment?

        CancelDelete

        Operations & More Information

        Lat/Long:N32 48.9433' / W117 8.3750'
        Charts:NACO: Los Angeles Sectional
        Mag Var:14E (1980)
        ARTCC:Los Angeles (ZLA)
        FSS:San Diego (SAN)
        1-800-WXBRIEF
        NOTAM Facility:MYF
        Approach/Departure Control FacilitySCT
        Pattern Altitude:Tpa Rwy 10r/28l and 05/23 Single Eng 1000' & Multi Eng/Turbo Powered 1600'. Tpa Rwy 10l/28r Single Eng 800' and Multi Eng/Turbo Powered 1600' Rotorcraft: 700 MSL; Light Aircraft: 1427 MSL; Heavy Aircraft: 2027 MSL; Turbine Aircraft: 2027 MSL
        Wind Indicator:Lighted
        Seg. Circle:Yes
        Lighting:Pilot Activated Lighting:
        • high intensity: 7 clicks in 5 secs
        • medium intensity: 5 clicks in 5 secs
        • low intensity: 3 clicks in 5 secs
        Atc Ctl. When ATCT Clsd MIRL Ry 10l/28r Oper Continuously. When ATCT Clsd Actvt MALSR Ry 28r; VASI Rys 10l & 28r Freq - 119.2

        Aircraft & Activity

        Based GA Aircraft

        Single Engine:404
        Multi Engine:57
        Jets:10
        Helicopters:12
        Gliders:1
        Ultralights:

        Airport Activity

        GA Local:84,159
        GA Itinerant:115,034
        Commercial:0
        Air Taxi:3,232
        Military:203

        (12-month period ending on 9/6/2011)

        Air Safety Institute Resources

        Accident Reports

        Expand Communications Card

        Contact Addresses

        ASN Volunteer:Owner:Airport Manager:
        Richard BeachCity of San DiegoErnie Gesell
        3750 John J Montgomery Dr3750 John J Montgomery Dr
        San Diego, CA 92123San Diego, CA 92123
        858-573-1440 (Office) 858-573-1440 (Office)
        Contact the ASN Volunteer
        Airport Manager Admin
        Mgr - Egesell@Sandiego.Gov Arp Opns - Bill Dalby - Wdalby@Sandiego.Gov