FAA Information Effective: 3/7/2013
AOPA members save at 3,000+ GA airports.Book Now!
KMFDCivil
Public Use
Public Use
Mansfield Lahm Regional
Mansfield, OH
Phone: 419-522-2191
www.ci.mansfield.oh.us/lahm-airport
Nearby airports
Operations | Communications | Weather |
Runways |
Comments |
Remarks |
Procedures | Services, Businesses & FBOsKneeboard Format
Overview
| Attendance: |
Attended Year-round,Sat-Sun/0800-1800Year-round,Mon - Fri/0700-1900 |
| Tower: | ATCT plus Terminal Radar Approach Control, 17 hrs/day, everyday, year-roundTower Hrs: 0600-2300Tower Hrs: 0630-2230Primary Approach Control Hrs: 0630-2230 |
| Elevation: | 1,297 ft (395.3 m) (Surveyed) |
| Location: | 3.00 mi. N of Mansfield |
| Beacon: | Present (white-green) |
| Approaches: | ILS, DME, LOC, VOR, RNAV, GPS, NDB, TACAN |
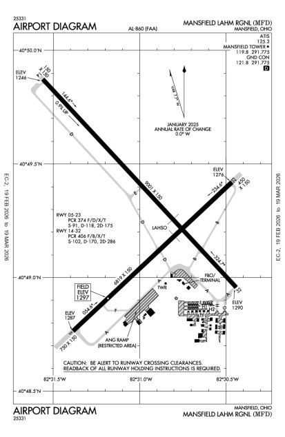
| Runways: | 05/23, 14/32, H2
Longest paved runway: 9001 ft |
| Fees: | Landing, Hangar |
Alerts
Security Directive SD-8G
Call FBO for transient pilot security procedures or after hours escort. Learn MoreExpand Additional Remarks
Runway 05/23
| Dimensions: | 6800 x 150ft. / 2072.6 x 45.7m | Weight Bearing Cap: | Single wheel: 90000 lb |
| Surface: | asphalt, grooved, in fair condition | Runway Edge Lights: | high |
| # | Elev/Hdg | Tr. Pat. | Markings | Approach Lights | TD Point | ILS/LOC | Obstructions | Comments/Noise | ||
|---|---|---|---|---|---|---|---|---|---|---|
| 05 | 1286.9ft. MSL 53° mag 47° true 0.2% down | non-precision | visual glide slope: 4-Light/Left-Side PAPI runway end identifier: REIL is present | |||||||
| 23 | 1276.1ft. MSL 233° mag 227° true 0.2% up | non-precision | visual glide slope: 4-Light/Left-Side PAPI runway end identifier: REIL is present | Trees, 600 ft Right of center, 48 ft high, 1,550 ft from end, 28:1 clearance slope | ||||||
Runway 14/32
| Dimensions: | 9001 x 150ft. / 2743.5 x 45.7m | Weight Bearing Cap: | Single wheel: 150000 lb |
| Surface: | asphalt, grooved, in good condition | Runway Edge Lights: | high |
| # | Elev/Hdg | Tr. Pat. | Markings | Approach Lights | TD Point | ILS/LOC | Obstructions | Comments/Noise | ||
|---|---|---|---|---|---|---|---|---|---|---|
| 14 | 1245.5ft. MSL 143° mag 137° true 0.5% up | precision | visual glide slope: 4-Light/Left-Side PAPI | Road, 629 ft Right of center, 27 ft high, 1,143 ft from end, 34:1 clearance slope | ||||||
| 32 | 1289.7ft. MSL 323° mag 317° true 0.5% down | precision | approach: 1400ft/Medium-Intensity/Runway Alignment Indicators runway visual range: Touchdown | ILS | Trees, 250 ft Right of center, 58 ft high, 2,650 ft from end, 42:1 clearance slope | |||||
Helipad H2
| Dimensions: | 24 x 24ft. / 7.3 x 7.3m | Weight Bearing Cap: | |
| Surface: | asphalt, no surface treatment, in good condition | Runway Edge Lights: |
| # | Elev/Hdg | Tr. Pat. | Markings | Approach Lights | TD Point | ILS/LOC | Obstructions | Comments/Noise | ||
|---|---|---|---|---|---|---|---|---|---|---|
| H2 | No Data
| No Data | No Data | |||||||
Business/Service Information
| Name | Location | Freq. Monitored | Main Phone | |
|---|---|---|---|---|
| Richland Aviation |
| On field: S |
UNICOM: 122.95 | 419-524-4261 |
Services at this airport:
Services:Engine Repair: MajorAirframe Repair: Major
Fuel: 100LL Low-Lead, Jet A
Transportation:
Rental Cars:
| Hertz |
Expand Nearby restaurants, attractions
Operations & More Information
| Lat/Long: | N40 49.2850' / W82 30.9983' |
| Charts: | NACO:
Detroit Sectional |
| Mag Var: | 06W (1985) |
| ARTCC: | Cleveland (ZOB) |
| FSS: | Cleveland (CLE) 1-800-WXBRIEF |
| NOTAM Facility: | MFD |
| Approach/Departure Control Facility | |
| Pattern Altitude: | Fixed Wing: 2300 MSL |
| Wind Indicator: | Lighted |
| Seg. Circle: | No |
| Lighting: | Pilot Activated Lighting:
|
Aircraft & Activity
Based GA Aircraft
| Single Engine: | 56 |
| Multi Engine: | 11 |
| Jets: | 1 |
| Helicopters: | 0 |
| Gliders: | |
| Ultralights: |
Airport Activity
| GA Local: | 3,825 |
| GA Itinerant: | 9,779 |
| Commercial: | 4 |
| Air Taxi: | 620 |
| Military: | 5,065 |
(12-month period ending on 12/31/2011)
Air Safety Institute Resources
Expand Communications Card
Contact Addresses
| ASN Volunteer: | Owner: | Airport Manager: |
| Dennis Atkeson | City of Mansfield | Mark T. Daugherty |
| 2000 Harrington Meml Rd | 2000 Harrington Meml Rd | |
| Mansfield, OH 44903 | Mansfield, OH 44903 | |
| 419-522-2191 (Office) | 419-522-2191 (Office) | |
| Contact the ASN Volunteer | ||
| Airport Manager Admin |