FAA Information Effective: 3/7/2013
AOPA members save at 3,000+ GA airports.Book Now!
KOKCCivil
Public Use
Public Use
Will Rogers World
Oklahoma City, OK
Phone: 405-680-3200
www.flyokc.com
Nearby airports
Operations | Communications | Weather |
Runways |
Comments |
Remarks |
Procedures | Services, Businesses & FBOsKneeboard Format
Overview
| Attendance: |
Attended Year-round, 7 Days a Week,All |
| Tower: | ATCT plus Terminal Radar Approach Control, 24 hrs/day, everyday, year-roundTower Hrs: 24 |
| Elevation: | 1,295 ft (394.7 m) (Surveyed) |
| Location: | 6.00 mi. SW of Oklahoma City |
| Beacon: | Present (white-green) |
| Approaches: | ILS, DME, LOC, VOR, RNAV, GPS, RNP |
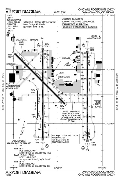
| Runways: | 13/31, 17L/35R, 17R/35L, 18/36
Longest paved runway: 9802 ft |
| Fees: | Landing |
Alerts
Security Directive SD-8G
Call FBO for transient pilot security procedures or after hours escort. Learn MoreExpand Additional Remarks
Runway 13/31
| Dimensions: | 7800 x 150ft. / 2377.4 x 45.7m | Weight Bearing Cap: | Single wheel: 50000 lb |
| Surface: | asphalt, concrete, grooved, in good condition | Runway Edge Lights: | medium |
| # | Elev/Hdg | Tr. Pat. | Markings | Approach Lights | TD Point | ILS/LOC | Obstructions | Comments/Noise | ||
|---|---|---|---|---|---|---|---|---|---|---|
| 13 | 1278.7ft. MSL 130° mag 135° true 0.1% up | non-precision | visual glide slope: 4-Light/Left-Side PAPI | |||||||
| 31 | 1285.8ft. MSL 310° mag 315° true 0.1% down | non-precision | visual glide slope: 4-Light/Left-Side PAPI | |||||||
Runway 17L/35R
| Dimensions: | 9802 x 150ft. / 2987.6 x 45.7m | Weight Bearing Cap: | Single wheel: 50000 lb |
| Surface: | concrete, concrete, grooved, in good condition | Runway Edge Lights: | high |
| # | Elev/Hdg | Tr. Pat. | Markings | Approach Lights | TD Point | ILS/LOC | Obstructions | Comments/Noise | ||
|---|---|---|---|---|---|---|---|---|---|---|
| 17L | 1286.4ft. MSL 175° mag 180° true 0.0% down | precision | runway visual range: Touchdown, Midfield, Rollout approach: 1400ft/Medium-Intensity/Runway Alignment Indicators centerline: Centerline Lights are present | ILS/DME | ||||||
| 35R | 1282.8ft. MSL 355° mag 0° true 0.0% up | precision | approach: 2400ft/High-Intensity/Sequenced Flashers, Cat-II/III Config. runway visual range: Touchdown, Midfield, Rollout centerline: Centerline Lights are present end touchdown: End Touchdown Lights are present | ILS/DME | ||||||
Runway 17R/35L
| Dimensions: | 9800 x 150ft. / 2987.0 x 45.7m | Weight Bearing Cap: | Single wheel: 50000 lb |
| Surface: | concrete, concrete, grooved, in good condition | Runway Edge Lights: | high |
| # | Elev/Hdg | Tr. Pat. | Markings | Approach Lights | TD Point | ILS/LOC | Obstructions | Comments/Noise | ||
|---|---|---|---|---|---|---|---|---|---|---|
| 17R | 1281.8ft. MSL 175° mag 180° true 0.2% down | precision | centerline: Centerline Lights are present runway visual range: Touchdown, Rollout visual glide slope: 4-Light/Left-Side PAPI approach: 1400ft/Medium-Intensity/Runway Alignment Indicators | ILS/DME | Nstd Malsr, No Thld Lgts | |||||
| 35L | 1263.4ft. MSL 355° mag 0° true 0.2% up | precision | approach: 1400ft/Medium-Intensity/Runway Alignment Indicators runway visual range: Touchdown, Rollout centerline: Centerline Lights are present | ILS/DME | ||||||
Runway 18/36
| Dimensions: | 3078 x 75ft. / 938.2 x 22.9m | Weight Bearing Cap: | Single wheel: 50000 lb |
| Surface: | asphalt, concrete, no surface treatment, in good condition | Runway Edge Lights: |
| # | Elev/Hdg | Tr. Pat. | Markings | Approach Lights | TD Point | ILS/LOC | Obstructions | Comments/Noise | ||
|---|---|---|---|---|---|---|---|---|---|---|
| 18 | 1274.9ft. MSL 175° mag 180° true 0.1% down | basic | No Data | |||||||
| 36 | 1271.3ft. MSL 355° mag 0° true 0.1% up | basic | No Data | |||||||
Business/Service Information
| Name | Location | Freq. Monitored | Main Phone | |
|---|---|---|---|---|
| AAR Aircraft Services - Oklahoma |
| On field: CTR |
UNICOM: 122.95 ARINC: 130.05 | 405-218-3000 |
| Atlantic Aviation OKC |
| On field: E |
UNICOM: 122.95 ARINC: 131.875 | 405-787-4043 |
Services at this airport:
Services:Engine Repair: MajorAirframe Repair: MajorBulk Oxygen: High/Low
Fuel: 100LL Low-Lead, Jet A
Transportation: Shuttle Bus, Van, Limousine, Courtesy Car
Rental Cars:
| Enterprise | Book Now! | 866-315-9155 |
| Avis | ||
| Budget | ||
| Dollar | ||
| Hertz | ||
| Thrifty |
Customs: International Landing Rights
Expand Nearby restaurants, attractions
Operations & More Information
| Lat/Long: | N35 23.5844' / W97 36.0457' |
| Charts: | NACO:
Dallas-Ft Worth Sectional |
| Mag Var: | 05E (2010) |
| ARTCC: | Fort Worth (ZFW) |
| FSS: | Mc Alester (MLC) 1-800-WXBRIEF |
| NOTAM Facility: | OKC |
| Approach/Departure Control Facility | |
| Pattern Altitude: | No data provided. Assume 1000 AGL |
| Wind Indicator: | Lighted |
| Seg. Circle: | No |
| Lighting: | No data |
Aircraft & Activity
Based GA Aircraft
| Single Engine: | 6 |
| Multi Engine: | 15 |
| Jets: | 33 |
| Helicopters: | 7 |
| Gliders: | |
| Ultralights: |
Airport Activity
| GA Local: | 1,464 |
| GA Itinerant: | 18,017 |
| Commercial: | 42,123 |
| Air Taxi: | 20,000 |
| Military: | 47,616 |
(12-month period ending on 12/31/2011)
Air Safety Institute Resources
Expand Communications Card
Contact Addresses
| ASN Volunteer: | Owner: | Airport Manager: |
| Ken Carmichael | Oklahoma City Airport Trust | Mark Kranenburg Director |
| 7100 Terminal Dr; Box 937 | 7100 Terminal Dr; Box 937 | |
| Oklahoma City, OK 73159-0937 | Oklahoma City, OK 73159-0937 | |
| 405-680-3200 (Office) | 405-680-3200 (Office) | |
| Contact the ASN Volunteer | ||
| Airport Manager Admin |