FAA Information Effective: 3/7/2013

AOPA members save at 3,000+ GA airports.Book Now!
KSTCCivil
Public Use

St Cloud Regional

St Cloud, MN
Phone: 320-255-7292
Nearby airports


Overview

Attendance: Attended
Year-round, 7 Days a Week,0500-2330
Tower:Air Traffic Control Tower, 16 hrs/day, everyday, year-round
Elevation:1,031 ft (314.2 m) (Estimated)
Location:4.00 mi. E of St Cloud
Beacon: Present (white-green)
Approaches:ILS, DME, LOC, VOR, RNAV, GPS
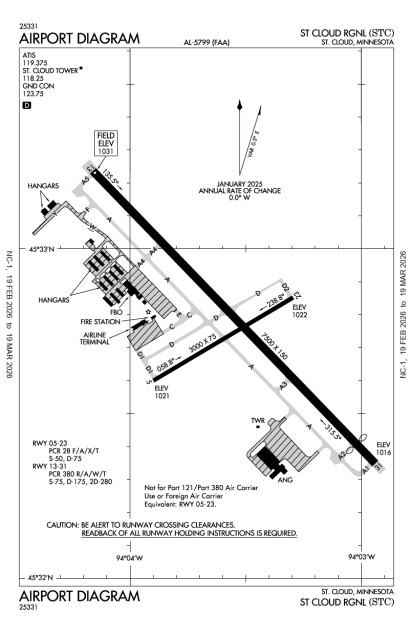
Runways:05/23, 13/31
Longest paved runway: 7000 ft
Fees:Tiedown, Hangar
 Embed this
  • METARs
  • TAFs

Expand Instrument Approach Procedures

Use subject to Terms and Conditions

  • Satellite
  • Diagram
  • Sectional

Minimum Fuel Prices

100LL$ 5.74  (self-service service)

Alerts

Security Directive SD-8G

Call FBO for transient pilot security procedures or after hours escort. Learn More

Expand Additional Remarks

Runway 05/23

Dimensions:3000 x 75ft. / 914.4 x 22.9mWeight Bearing Cap: Single wheel: 50000 lb
Surface:asphalt, porous friction course, in fair conditionRunway Edge Lights:medium
#Elev/HdgTr. Pat.MarkingsApproach LightsTD PointILS/LOCObstructionsComments/Noise
051021.1ft. MSL
56° mag
59° true
0.0% up
basicNo DataTree, 224 ft Right of center, 55 ft high, 1,901 ft from end, 30:1 clearance slope
231022.0ft. MSL
236° mag
239° true
0.0% down
basicNo DataTrees, 393 ft Left of center, 59 ft high, 1,926 ft from end, 29:1 clearance slope

Runway 13/31

Dimensions:7000 x 150ft. / 2133.6 x 45.7mWeight Bearing Cap: Single wheel: 75000 lb
Surface:concrete, grooved, in good conditionRunway Edge Lights:high
#Elev/HdgTr. Pat.MarkingsApproach LightsTD PointILS/LOCObstructionsComments/Noise
131030.5ft. MSL
133° mag
136° true
0.2% down
precisionvisual glide slope: 4-Light/Right-Side PAPI
approach: 1400ft/Medium-Intensity/Runway Alignment Indicators
ILS
311016.6ft. MSL
313° mag
316° true
0.2% up
precisionvisual glide slope: 4-Light/Left-Side PAPI
approach: 1400ft/Medium-Intensity/Runway Alignment Indicators
ILS

Business/Service Information

Name LocationFreq. MonitoredMain Phone
St. Cloud Aviation
  • Maintenance
  • Fuel
  • Rentals
  • Sales
  • Flight Training
On field: CTR
320-253-1500
Wright Aero, Inc.
  • $5.74
  • Rentals
  • Flight Training
On field: NW
320-252-5858
List Your Business in AOPA Airports

Services at this airport:

Services: 
Engine Repair: MajorAirframe Repair: MajorBulk Oxygen: High
Fuel: 100LL Low-Lead, Jet A
Transportation: Courtesy Car, Public
Rental Cars: 
EnterpriseBook Now! 866-315-9155
Hertz  

Expand Nearby restaurants, attractions

Expand Member Comments

AOPA member comments are are offered unedited and do not necessarily reflect the views of AOPA.

Are you sure you want to delete this comment?

CancelDelete

Operations & More Information

Lat/Long:N45 32.7933' / W94 3.5933'
Charts:NACO: Twin Cities Sectional
Mag Var:03E (1995)
ARTCC:Minneapolis (ZMP)
FSS:Princeton (PNM)
1-800-WXBRIEF
NOTAM Facility:STC
Approach/Departure Control Facility
Pattern Altitude:Fixed Wing: 1831 MSL
Wind Indicator:Lighted
Seg. Circle:Yes
Lighting:Pilot Activated Lighting:
  • high intensity: 7 clicks in 5 secs
  • medium intensity: 5 clicks in 5 secs
  • low intensity: 3 clicks in 5 secs
HIRL Rys 13/31 & MIRL Ry 05/23 Preset on Low Intst; to Incr Intst & Actvt MIRL Ry 05/23; MALSR Ry 13/31; PAPI Ry 13/31; HIRL Ry 13/31 - CTAF

Aircraft & Activity

Based GA Aircraft

Single Engine:57
Multi Engine:2
Jets:5
Helicopters:1
Gliders:0
Ultralights:0

Airport Activity

GA Local:15,093
GA Itinerant:14,618
Commercial:26
Air Taxi:411
Military:1,686

(12-month period ending on 10/31/2012)

Air Safety Institute Resources

Accident Reports

Expand Communications Card

Contact Addresses

ASN Volunteer:Owner:Airport Manager:
Eric MeyerCity of St CloudBill P. Towle
1550 45th Ave Se Suite 11550 45th Ave Se Suite 1
St Cloud, MN 56304-9535St Cloud, MN 56304-9535
320-255-7292 (Office) 320-255-7292 (Office)
Contact the ASN Volunteer
Airport Manager Admin