FAA Information Effective: 3/7/2013
AOPA members save at 3,000+ GA airports.Book Now!
KWRIUsaf
Private Use
Private Use
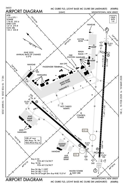
Mc Guire Field (Joint Base Mc Guire Dix Lakehurst)
Wrightstown, NJ
Phone: 609-754-2714
Nearby airports
Operations | Communications | Weather |
Runways |
Comments |
Remarks |
Procedures | Services, Businesses & FBOsKneeboard Format
Overview
| Attendance: |
Attended Year-round, 7 Days a Week,All |
| Tower: | ATCT plus Approach Control, 24 hrs/day, everyday, year-roundTower Hrs: 24Tower Hrs: CTC 15 MIN PRIOR TO LDGPrimary Approach Control Hrs: 24ATIS Hrs: CONTINUOUS |
| Elevation: | 131 ft (39.9 m) (Estimated) |
| Location: | 2.00 mi. SE of Wrightstown |
| Beacon: | Present (white-green) |
| Approaches: | ILS, DME, LOC, VOR, RNAV, GPS, TACAN |
| Runways: | 06/24, 18/36
Longest paved runway: 10014 ft |
| Fees: | No data |
Expand Additional Remarks
Runway 06/24
| Dimensions: | 10014 x 150ft. / 3052.3 x 45.7m | Weight Bearing Cap: | |
| Surface: | asphalt, concrete, grooved, condition not reported | Runway Edge Lights: | high |
| # | Elev/Hdg | Tr. Pat. | Markings | Approach Lights | TD Point | ILS/LOC | Obstructions | Comments/Noise | ||
|---|---|---|---|---|---|---|---|---|---|---|
| 06 | 131.2ft. MSL 57° mag 45° true 0.3% down | precision | runway visual value: RVV is present visual glide slope: 4-Light/Left-Side PAPI approach: 2400ft/High-Intensity/Sequenced Flashers, Cat-II/III Config. centerline: Centerline Lights are present runway visual range: Touchdown end touchdown: End Touchdown Lights are present | ILS | ||||||
| 24 | 103.1ft. MSL 237° mag 225° true 0.3% up | precision | centerline: Centerline Lights are present visual glide slope: 4-Light/Left-Side PAPI approach: 2400ft/High-Intensity/Sequenced Flashers, Cat-I Config. | LOC/GS | ||||||
Runway 18/36
| Dimensions: | 7126 x 150ft. / 2172.0 x 45.7m | Weight Bearing Cap: | |
| Surface: | asphalt, concrete, no surface treatment, condition not reported | Runway Edge Lights: | high |
| # | Elev/Hdg | Tr. Pat. | Markings | Approach Lights | TD Point | ILS/LOC | Obstructions | Comments/Noise | ||
|---|---|---|---|---|---|---|---|---|---|---|
| 18 | 122.0ft. MSL 185° mag 173° true 0.1% up | non-precision | runway end identifier: REIL is present visual glide slope: Non-specific VASI System | .Pline 45' Hi & 3/4 Mi Fm Apch End 18 REIL Out of Service Idefly | ||||||
| 36 | 128.5ft. MSL 5° mag 353° true 0.1% down | non-precision | runway end identifier: REIL is present visual glide slope: Non-specific VASI System | |||||||
Business/Service Information
List Your Business in AOPA AirportsServices at this airport:
Services:Engine Repair: MajorAirframe Repair: MajorBulk Oxygen: High/Low
Customs: Airport of Entry
Member-submitted Photos
View all
Upload your photos of Mc Guire Field (Joint Base Mc Guire Dix Lakehurst)
Operations & More Information
| Lat/Long: | N40 0.9350' / W74 35.5020' |
| Charts: | NACO:
New York Sectional |
| Mag Var: | 12W (1985) |
| ARTCC: | New York (ZNY) |
| FSS: | New York (ISP) 1-800-WXBRIEF |
| NOTAM Facility: | WRI |
| Approach/Departure Control Facility | |
| Pattern Altitude: | No data provided. Assume 1000 AGL |
| Wind Indicator: | Present (unlit) |
| Seg. Circle: | No |
| Lighting: | No data |
Air Safety Institute Resources
Expand Communications Card
Contact Addresses
| Owner: | Airport Manager: |
| USAF Jb McGuire Dix Lakehurst | Chief Airfield Management |
| 2901 Falcon Lane | 2901 Falcon Lane |
| Mcguire, NJ 08641 | Mcguire, NJ 08641 |
| 609-754-2714 (Office) | 609-754-2714 (Office) |
| Airport Manager Admin |