Get extra lift from AOPA. Start your free membership trial today! Click here
Sponsored by Aircraft Spruce

Training Tip: Trip check

It’s misting with a 300-foot overcast ceiling when you arrive at the airport. With low clouds and zero wind, it’s anybody’s guess when the weather may improve, as it was advertised to do later in the morning.

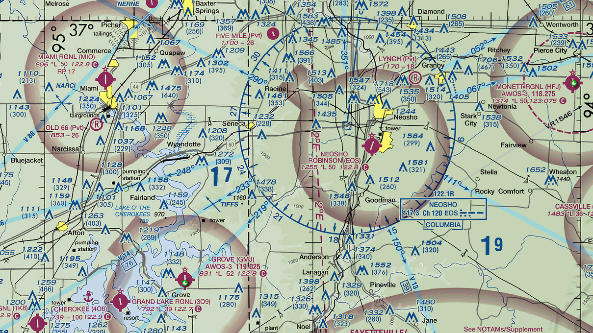
Can you name the two dashed lines (one black and one magenta) running beside Grove Municipal and Five Mile airports? Image courtesy of SkyVector.

Your instructor is sitting at the usual table, and after a brief conference you decide to wait out the weather by reviewing details of a possible cross-country flight to Grove, Oklahoma. That’s when you notice that your CFI’s ever-present spiral notebook is open to a page of scrawl, and that a sectional chart and a current volume of the chart supplement (formerly the airport/facilitydirectory) are arranged for easy access.

This can only mean one thing: It is time for one of the spot quizzes your CFI springs on you on unpredictable occasions. Today’s subject will be your destination.

The challenge starts with visualization exercises. Referring to Grove Municipal Airport’s listing in AOPA Airports, you are asked to diagram the airport’s position relative to the Razorback Vortac. Grove is located 37 miles from RZC on the 302-degree radial—so in what direction from the navaid will you draw the airport symbol?

Next, the CFI asks you to diagram the traffic pattern you would fly with winds 320 degrees at 10 knots—and to please note the TPA. (He calls it a TPA because he expects you to know by now that TPA means traffic pattern altitude.)

Well, you reply, the given winds favor Runway 36. No special traffic pattern procedures are published, so a safe method would be to enter a left traffic pattern at 1,000 feet agl, that is, 1,831 feet msl.

Asked to look up the magnetic variation in the destination’s vicinity, you locate the nearest isogonic line and report that magnetic variation is two degrees—the amount to subtract from your true heading when computing a magnetic heading. (You’re proud to have remembered that the line is called an isogonic line.)

“What is the line called if it indicates zero variation?”

(Did he trip you up with that one? It’s the agonic line.)  

Speaking of lines—and now he taps a broken black line between the isogonic line and the airport symbol—what is this line for?

Don’t fall for the trick question. That’s the boundary line between Oklahoma and Missouri; it nearly parallels the isogonic line northward, until they converge just south of Kansas City.

Dan Namowitz
Dan Namowitz
Dan Namowitz has been writing for AOPA in a variety of capacities since 1991. He has been a flight instructor since 1990 and is a 35-year AOPA member.
Topics: Airport, Navigation, Training and Safety
aircraft spruce logo

Aircraft Spruce

Sponsor of Aircraft Maintenance
Aircraft Spruce provides virtually everything a pilot or aircraft owner might need. As a Strategic Partner since 2012, the company sponsors programs that bring hands-on knowledge and DIY spirit to AOPA members.