AOPA will be closed Tuesday, November 11th in observance of the holiday. We will reopen at 8:30 a.m. ET on Wednesday, November 12th.

Hurricane Maria slams Puerto Rico airfield

Fifth major hurricane since August

Puerto Rico’s Isla Grande Airport, a general aviation airfield in the capital of San Juan, was littered with destroyed aircraft after Hurricane Maria tore through Sept. 20 as a Category Four storm. Reports relayed by The Weather Channel said the colossal hurricane “paralyzed the island with 155 miles per hour winds” and “ripped to shreds” aircraft, homes, and businesses in its path.

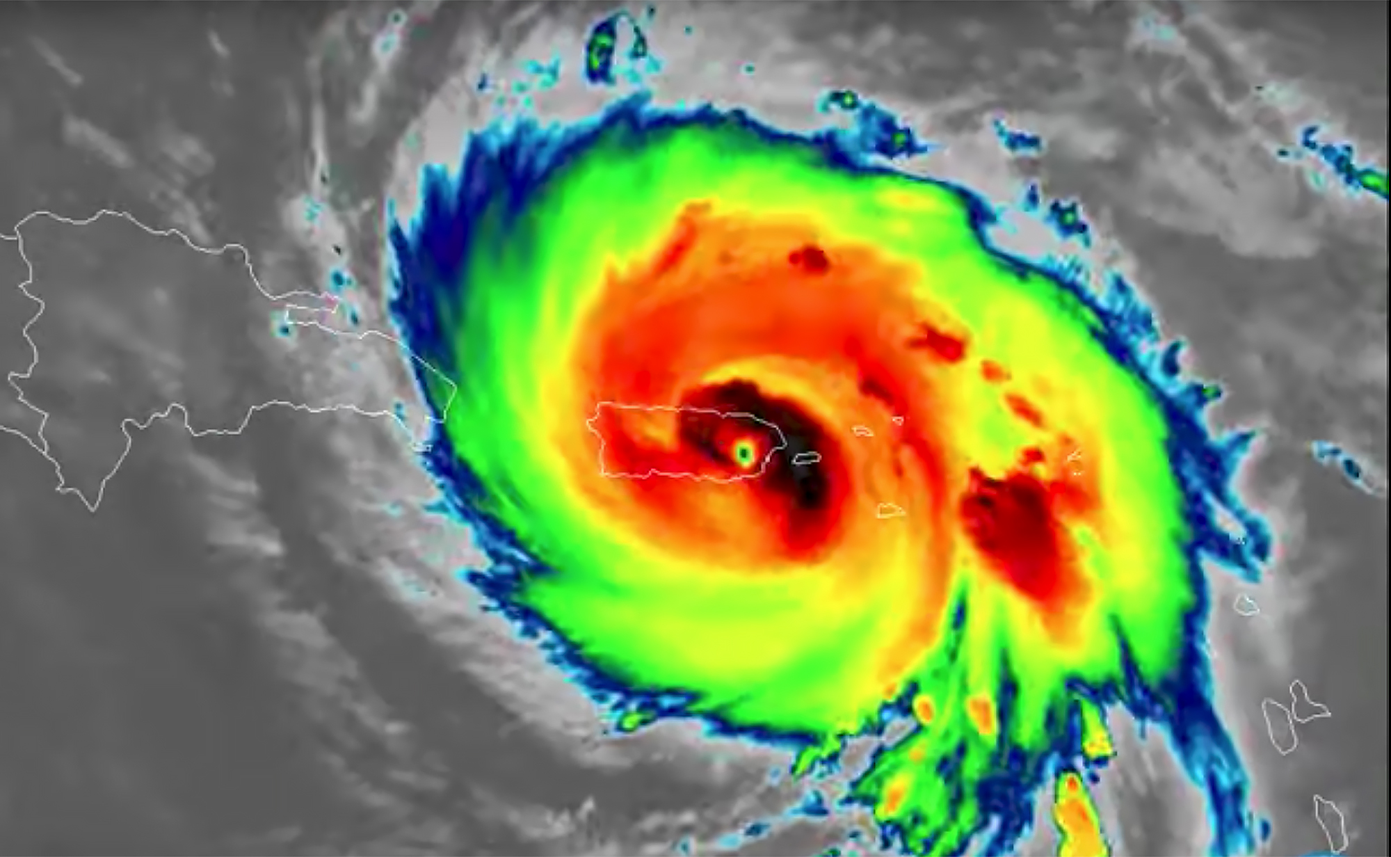
Hurricane Maria bears down on Puerto Rico in this colorized-infrared GOES-16 satellite image provided by the National Oceanic and Atmospheric Administration and NASA. Photo courtesy of NOAA/NASA.

Video images posted to the TV network, which also is a Jeppesen partner, confirmed the catastrophic damage sustained at Isla Grande, also known as Fernando Luis Ribas Dominicci Airport, located on the island's northeastern coast.

Upside-down Cessnas and Pipers littered the ramp near the four fixed-base operators and two flight schools based at the airport. A half dozen GA aircraft lay crumpled atop each other in a giant heap of twisted metal, their bent propellers clawing at a still-brooding sky. A Twin Commander was pushed partially into the water, and a short-body Mooney rested on a taxiway embankment with its tail under water and its nose pointed high.

Flooded hangars were stripped of outside metalwork that exposed tools and supplies within; steel girders formerly supporting hangars were toppled like game-board pieces. Homes, stores, office buildings, and boats also were heavily damaged by the storm.

Maria steamrolled through Puerto Rico, knocking out power to most of the island’s inhabitants. It came hot on the heels of a devastating blow to its U.S. Virgin Islands neighbor dealt by Hurricane Irma less than two weeks prior.

Aircraft at Cyril E. King Airport on the island of Saint Thomas in the U.S. Virgin Islands can be seen twisted and damaged in this aerial reconnaissance photo provided by the National Oceanic and Atmospheric Administration’s ‘Hurricane Hunter’ aircraft. Photo courtesy of NOAA.

The latest monster storm delivered a finishing blow to tiny Saint John, a former “paradise” about 40 miles north of Puerto Rico. Meanwhile, Florida airports, businesses, and residents from Key West to Lakeland were still reeling from Hurricane Irma’s wrath. A handful of airfields recovered enough infrastructure services to serve as forward distribution points for relief supplies that flowed through a volunteer GA air force pipeline. Rebuilding efforts were projected to continue long into the future.

National Oceanic and Atmospheric Administration “Hurricane Hunter” aircraft continued to deploy on data-gathering assignments Sept. 21. Two sorties flew into still-churning Hurricane Jose in the north Atlantic, and two missions investigated Hurricane Maria as the tempest barreled into the Dominican Republic with regained strength from the warm western Atlantic waters.

The destructive hurricane season bloomed in late August when Hurricane Harvey submerged most of the Texas Gulf Coast, annihilating Houston and parts of Louisiana, and killing at least 60. The Miami Herald reported at least 42 deaths caused by Hurricane Irma, and rescuers at the Summerland Key Cove Airport in the Florida Keys told AOPA they expected the toll to rise as more areas were cleared of storm debris.

“There's no question that it's been a challenging few weeks for our region. Harvey… Irma… Jose… Katia… and now Maria,” FAA Administrator Michael Huerta told North American, Central American, and Caribbean aviation leaders at an International Civil Aviation Organization (ICAO) meeting Sept. 21.

He said it would take “weeks and months of recovery work” to rebuild the infrastructure at some of the hardest-hit airports in the United States and the Caribbean. “The FAA is continuing to support efforts to get all Florida airports—including those in the Keys—back to full operations,” he added.

Huerta noted that San Juan, Puerto Rico’s Luis Muñoz Marín International Airport was a “base of operations for evacuations and relief efforts” to Caribbean areas affected by the storms. He expressed concern for residents and businesses affected by the swath of damage caused by five back-to-back hurricanes and lauded aviation for its key support role.

“Aviation is a lifeline, particularly in times of natural disaster,” Huerta told the ICAO assembly. “It can evacuate people to safety, and bring in desperately needed food, water, and medical supplies. And as Hurricane Maria continues on its path, we stand ready to assist once more. This isn’t just the right thing to do. It’s a necessary thing to do.”

Hurricane Irma’s damage to homes in Marathon, Florida, adjacent to Florida Keys Marathon International Airport, can be seen in this photo provided by the National Oceanic and Atmospheric Administration’s ‘Hurricane Hunter’ aircraft. Photo courtesy of NOAA.

 

David Tulis
David Tulis
Senior Photographer
Senior Photographer David Tulis joined AOPA in 2015 and is a private pilot with single-engine land and sea ratings and a tailwheel endorsement. He is also a certificated remote pilot and co-host of the award-wining AOPA Hangar Talk podcast. David enjoys vintage aircraft and photography.
Topics: Weather, Caribbean

Related Articles